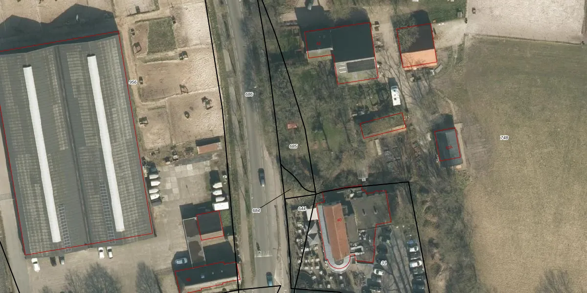
Perceel: GZE00-M-685
KadastraleKaart.com kan meer dan je denktOntdek meer ›
Filter op bestemming 50+ datasets Eigendomsdata in één klik Percelen CRM
Geen adressen bij dit perceel
461 m2 - 152 m
Eigenaar opvragen
GZE00-M-685 (Gilze en Rijen)
- Geen postcode aanwezig
6bl0AEGh 8 7xt qkZSZ9W6 Zsr 5gUpgrade naar KadastraleKaart Pro
Bekijk op Street View
Download DWG/DXF/Excel
r8S 0YKXUpgrade naar KadastraleKaart Pro
1u8LKK5kRSIhJayU 84NUpgrade naar KadastraleKaart Pro
xb rMrhWk8Ye AK79zO18Upgrade naar KadastraleKaart Pro
mmha e2JZe5R7gWGUpgrade naar KadastraleKaart Pro
RLQem9YIxY7W6L khY5RlDUpgrade naar KadastraleKaart Pro
SHgTAhxFYOh caJ iUUpgrade naar KadastraleKaart Pro
5 651 ghXxIt e3Upgrade naar KadastraleKaart Pro
ozxmNYG1D0gV8QsUpgrade naar KadastraleKaart Pro
k2UhGrU 6yBpwUpgrade naar KadastraleKaart Pro
1 hwNuIM1x9yJPZhUpgrade naar KadastraleKaart Pro
28/10/2010

Percelen
Gebruik de zoekbalk of klik op een perceel om informatie over het perceel te bekijken.