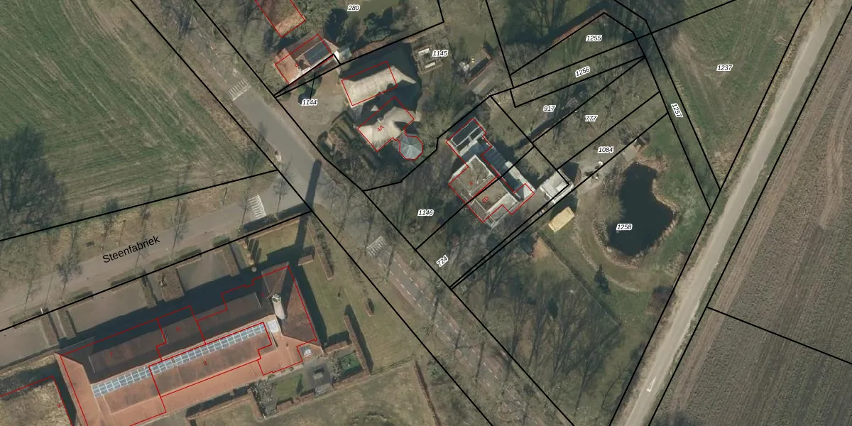
Perceel: GZE00-O-1146
557 m2 - 111 m
Eigenaar opvragen
GZE00-O-1146 (Gilze en Rijen)
- 5126 PN
ng2 NBn5j4II8ExjoJVUpgrade naar KadastraleKaart Pro
Verkoopprijs opvragen
Bekijk op Street View
Download DWG/DXF/Excel
FiTKD9 H7xKR z89FHLzg3Upgrade naar KadastraleKaart Pro
cW9VhEkRCEe QkFD9Nfpo1Upgrade naar KadastraleKaart Pro
DQUWeuFPeUpgrade naar KadastraleKaart Pro
OQGdeH0v FjUpgrade naar KadastraleKaart Pro
IyqBu Iwy6XTpr8 Upgrade naar KadastraleKaart Pro
oZsAngboGiqUpgrade naar KadastraleKaart Pro
VGfgjuVz3j08K5gUpgrade naar KadastraleKaart Pro
9d8W8EkXuNXBEtMUpgrade naar KadastraleKaart Pro
hWdfy0e0 MrhXi2Upgrade naar KadastraleKaart Pro
l3rkIHjFkLWdsSUpgrade naar KadastraleKaart Pro
14/02/2011

Percelen
Gebruik de zoekbalk of klik op een perceel om informatie over het perceel te bekijken.