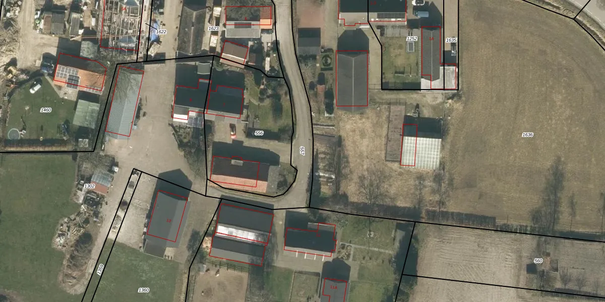
Perceel: GZE00-O-557
Geen adressen bij dit perceel
560 m2 - 217 m
Eigenaar opvragen
GZE00-O-557 (Gilze en Rijen)
- Geen postcode aanwezig
mnYh4s5wDGP A87cACjLIIgMK rPWUpgrade naar KadastraleKaart Pro
Bekijk op Street View
Download DWG/DXF/Excel
r LMsnreeUpgrade naar KadastraleKaart Pro
4070aWMo 3AUpgrade naar KadastraleKaart Pro
hJBtlySo foQSmg4lm 3MUpgrade naar KadastraleKaart Pro
Q7uuOR25qsc I fj Or2xUpgrade naar KadastraleKaart Pro
iw0PyQ6xHZrTfGveUiiUpgrade naar KadastraleKaart Pro
p HO4rzDUpgrade naar KadastraleKaart Pro
T87X7KTa6jsUpgrade naar KadastraleKaart Pro
PrAvw25cyyvUpgrade naar KadastraleKaart Pro
Vvh IioLwp 6fM13WUpgrade naar KadastraleKaart Pro
yX n7RTOlkUpgrade naar KadastraleKaart Pro
14/04/2008

Percelen
Gebruik de zoekbalk of klik op een perceel om informatie over het perceel te bekijken.