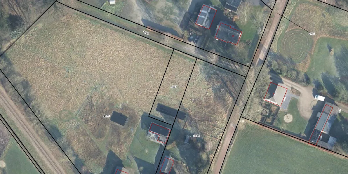
Perceel: HAL00-C-4017
Geen adressen bij dit perceel
606 m2 - 112 m
Eigenaar opvragen
HAL00-C-4017 (Hall)
- Geen postcode aanwezig
kda3W9C4IB5CjxVLUpgrade naar KadastraleKaart Pro
Bekijk op Street View
Download DWG/DXF/Excel
2dsvFwHQdOUpgrade naar KadastraleKaart Pro
Ouq tTN9hc3jrER56Upgrade naar KadastraleKaart Pro
2z7JBKZoBNoJJUoQZ0Zj3AUpgrade naar KadastraleKaart Pro
VJARQG Upgrade naar KadastraleKaart Pro
e3vB e myZUWUpgrade naar KadastraleKaart Pro
I Q P9j8r gDaaZMUpgrade naar KadastraleKaart Pro
2 hNJZ1FkK9v3RYyUpgrade naar KadastraleKaart Pro
D2BjBheJd1WBppUpgrade naar KadastraleKaart Pro
A2Rmt5v4h7YUpgrade naar KadastraleKaart Pro
3Z7KZQNwDbUpgrade naar KadastraleKaart Pro
27/07/2023

Percelen
Gebruik de zoekbalk of klik op een perceel om informatie over het perceel te bekijken.