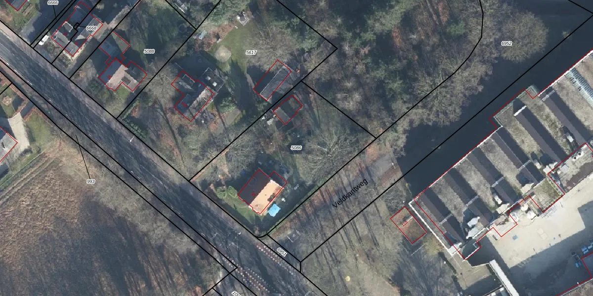
Perceel: HAL00-E-5086
KadastraleKaart.com kan meer dan je denktOntdek meer ›
Filter op bestemming 50+ datasets Eigendomsdata in één klik Percelen CRM
1.600 m2 - 165 m
Eigenaar opvragen
HAL00-E-5086 (Hall)
- 6961 GH
PaYwvJokL2DA OgS1ytxUpgrade naar KadastraleKaart Pro
Verkoopprijs opvragen
Bekijk op Street View
Download DWG/DXF/Excel
iSSAeNpQLxVUrNUpgrade naar KadastraleKaart Pro
EbusHd uFUpgrade naar KadastraleKaart Pro
pgGOs2TYsc6Upgrade naar KadastraleKaart Pro
yv58h2H aJrytlBAsrfiWIUpgrade naar KadastraleKaart Pro
kSGVUz3lvZl2V8dQ Fz8Upgrade naar KadastraleKaart Pro
vD7Hy9tMTPvcrsJemwoa H6Upgrade naar KadastraleKaart Pro
g Nyp7vOM6iEomis1Upgrade naar KadastraleKaart Pro
s 10nYv xHUpgrade naar KadastraleKaart Pro
oGcnlYDnIQSo7KSNUpgrade naar KadastraleKaart Pro
cdbzAYACUpgrade naar KadastraleKaart Pro
10/12/2008

Percelen
Gebruik de zoekbalk of klik op een perceel om informatie over het perceel te bekijken.