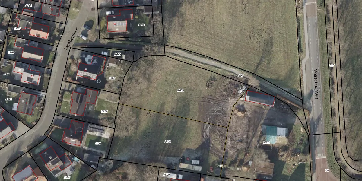
Perceel: HAM00-D-2650
KadastraleKaart.com kan meer dan je denktOntdek meer ›
Filter op bestemming 50+ datasets Eigendomsdata in één klik Percelen CRM
1.827 m2 - 183 m
Eigenaar opvragen
HAM00-D-2650 (Den Ham)
- 7683 SH
5iEpbx3gwlkiZHy2UBr9PRUpgrade naar KadastraleKaart Pro
Bekijk op Street View
Download DWG/DXF/Excel
pqkeF0BXIk9ghWV2IzS8Upgrade naar KadastraleKaart Pro
rJZbpz8Dzp5pqHdb4pO4 Upgrade naar KadastraleKaart Pro
db7 Kgh39zPyYUpgrade naar KadastraleKaart Pro
W i g8B oqnNyP twWSZ16Upgrade naar KadastraleKaart Pro
RnTkr l4zP8G7T2Upgrade naar KadastraleKaart Pro
TTaEGGK cUpgrade naar KadastraleKaart Pro
fBXkwD E7Cilr5fZUpgrade naar KadastraleKaart Pro
R im6 3X4PR8Upgrade naar KadastraleKaart Pro
f OGu03pKnkfwUpgrade naar KadastraleKaart Pro
8TIO1wJ9wgHm6Svz jDHzoUpgrade naar KadastraleKaart Pro
17/12/2024

Percelen
Gebruik de zoekbalk of klik op een perceel om informatie over het perceel te bekijken.