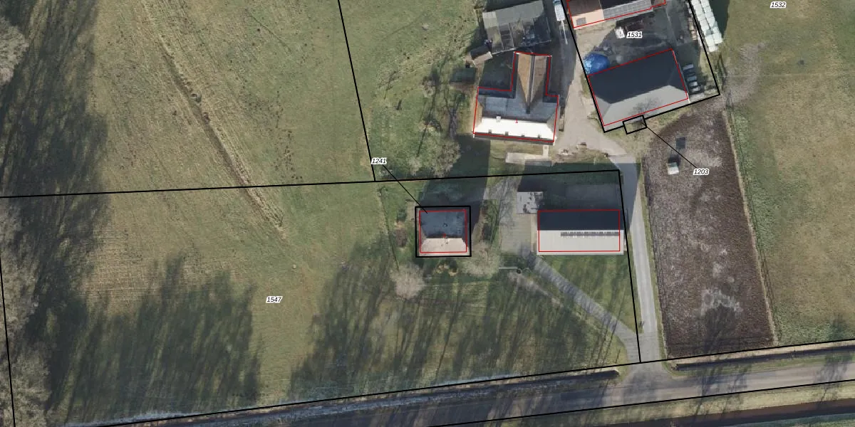
Perceel: HAM00-F-1241
KadastraleKaart.com kan meer dan je denktOntdek meer ›
Filter op bestemming 50+ datasets Eigendomsdata in één klik Percelen CRM
149 m2 - 49 m
Eigenaar opvragen
HAM00-F-1241 (Den Ham)
- 7683 SG
xMhu4k8HJP pD8wfXNVbVcIS5NtsgwaUpgrade naar KadastraleKaart Pro
Bekijk op Street View
Download DWG/DXF/Excel
Ph k nY87WQOx0Upgrade naar KadastraleKaart Pro
z nLFARlxuLUpgrade naar KadastraleKaart Pro
ypORd i Ni Upgrade naar KadastraleKaart Pro
QFFRAcYg87Upgrade naar KadastraleKaart Pro
LENsmtJNKTdeNAkftEpUpgrade naar KadastraleKaart Pro
5ebTcDQqz2cs0mtA19rUpgrade naar KadastraleKaart Pro
9 qqpFjDUpgrade naar KadastraleKaart Pro
R6bXT pwUySUpgrade naar KadastraleKaart Pro
q7JsMtPqzR9GcZsbQUpgrade naar KadastraleKaart Pro
h4eBjsPTyUQU qNL AZWP5Upgrade naar KadastraleKaart Pro
15/02/2010

Percelen
Gebruik de zoekbalk of klik op een perceel om informatie over het perceel te bekijken.