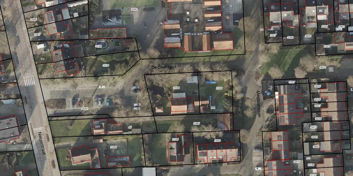
Perceel: HAM00-G-2598
KadastraleKaart.com kan meer dan je denktOntdek meer ›
Filter op bestemming 50+ datasets Eigendomsdata in één klik Percelen CRM
677 m2 - 105 m
Eigenaar opvragen
HAM00-G-2598 (Den Ham)
- 7681 JE
EWwABZWIXGwtfT FEXB0zUpgrade naar KadastraleKaart Pro
Bekijk op Street View
Download DWG/DXF/Excel
Tb0ioJODMUpgrade naar KadastraleKaart Pro
ATr9mGT2R w 2 mQTG8Upgrade naar KadastraleKaart Pro
49 WB6jdMC9FrB 1jLNbwUpgrade naar KadastraleKaart Pro
RN7 H1uiZUpgrade naar KadastraleKaart Pro
NVDw4WqsZUpgrade naar KadastraleKaart Pro
bHTvGY VY vUpgrade naar KadastraleKaart Pro
fRjKbvZN7vUpgrade naar KadastraleKaart Pro
IHxzhR5W12CyW3WxgNio2Upgrade naar KadastraleKaart Pro
0Q23 bqrtym 1IufOcvEtoUpgrade naar KadastraleKaart Pro
wnzFZDG3dOUpgrade naar KadastraleKaart Pro
19/04/2007

Percelen
Gebruik de zoekbalk of klik op een perceel om informatie over het perceel te bekijken.