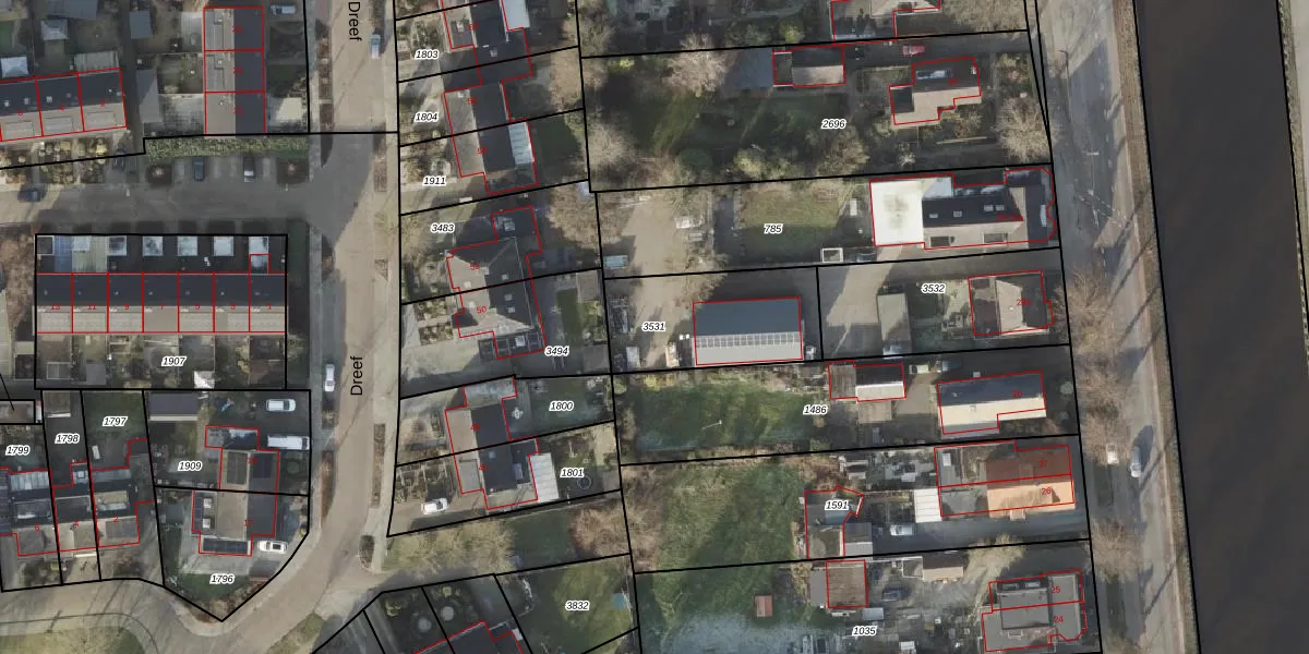
Perceel: HAM00-G-3531
KadastraleKaart.com kan meer dan je denktOntdek meer ›
Filter op bestemming 50+ datasets Eigendomsdata in één klik Percelen CRM
Geen adressen bij dit perceel
471 m2 - 94 m
Eigenaar opvragen
HAM00-G-3531 (Den Ham)
- Geen postcode aanwezig
tR UxjDJM Bc74 J 5auMOqj2NtQUpgrade naar KadastraleKaart Pro
Bekijk op Street View
Download DWG/DXF/Excel
qXWAs8bOAj9jEcKsUpgrade naar KadastraleKaart Pro
7tx8AQiBFi8LWWg22 oZUpgrade naar KadastraleKaart Pro
wK9ajs1jqkdSyauPsQb MUpgrade naar KadastraleKaart Pro
zZS0nlTEG3pSsOjUSIBLtUpgrade naar KadastraleKaart Pro
MnfoBimF6b 2 dUpgrade naar KadastraleKaart Pro
05 JyuTJgI5 YpP9Upgrade naar KadastraleKaart Pro
w1MKpnRVyUpgrade naar KadastraleKaart Pro
ZQ7voFV22QUpgrade naar KadastraleKaart Pro
ApI Btra7GrY UKUpgrade naar KadastraleKaart Pro
H7MPbK j3SWB LP2OKUpgrade naar KadastraleKaart Pro
03/09/2009

Percelen
Gebruik de zoekbalk of klik op een perceel om informatie over het perceel te bekijken.