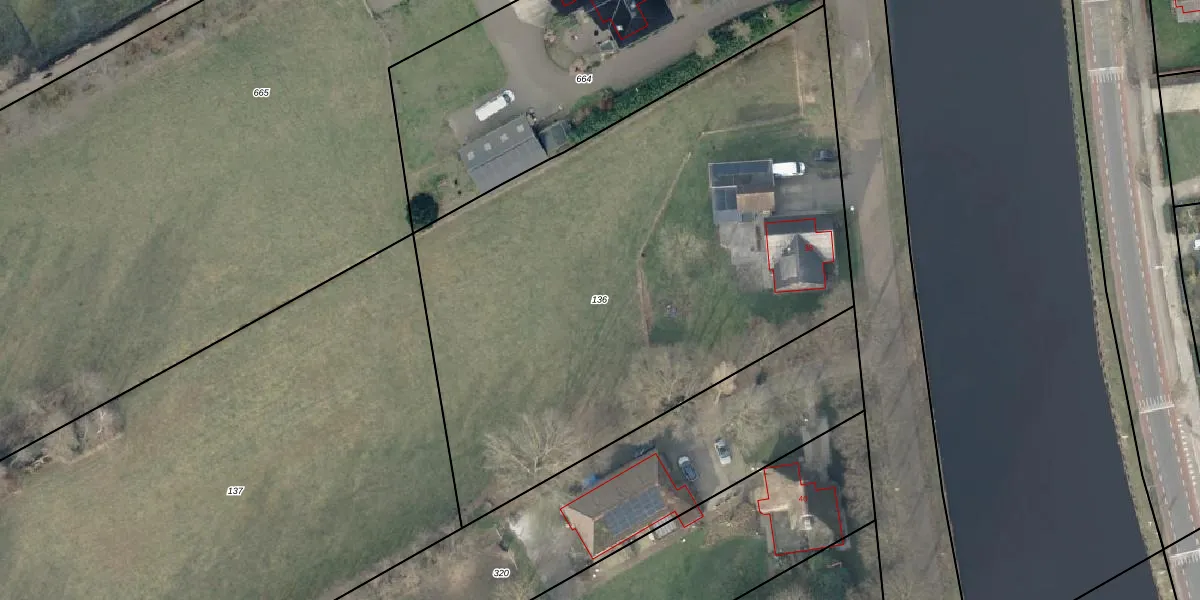
Perceel: HAM00-H-136
KadastraleKaart.com kan meer dan je denktOntdek meer ›
Filter op bestemming 50+ datasets Eigendomsdata in één klik Percelen CRM
3.550 m2 - 254 m
Eigenaar opvragen
HAM00-H-136 (Den Ham)
- 7681 DZ
pl8490BJ3wLUySttjFJX fUpgrade naar KadastraleKaart Pro
Bekijk op Street View
Download DWG/DXF/Excel
IdUIUDRMrjk5z8FanqhUpgrade naar KadastraleKaart Pro
dB1wrR7gCpDSCCUpgrade naar KadastraleKaart Pro
MOgm8rG34e N8iV84JzByOdUpgrade naar KadastraleKaart Pro
DnXEqx8XNzuUpgrade naar KadastraleKaart Pro
pRYj7HoCUpgrade naar KadastraleKaart Pro
WtO62fQoTqHqSlp HUpgrade naar KadastraleKaart Pro
YnlT1s5FAbzGa RXO4HUpgrade naar KadastraleKaart Pro
zWmU6RtA8gBZvmpphRskdPRUpgrade naar KadastraleKaart Pro
xbVqJQF6FHEf lqUpgrade naar KadastraleKaart Pro
AJ9ub jxZhgaqNPUpgrade naar KadastraleKaart Pro
05/09/2002

Percelen
Gebruik de zoekbalk of klik op een perceel om informatie over het perceel te bekijken.