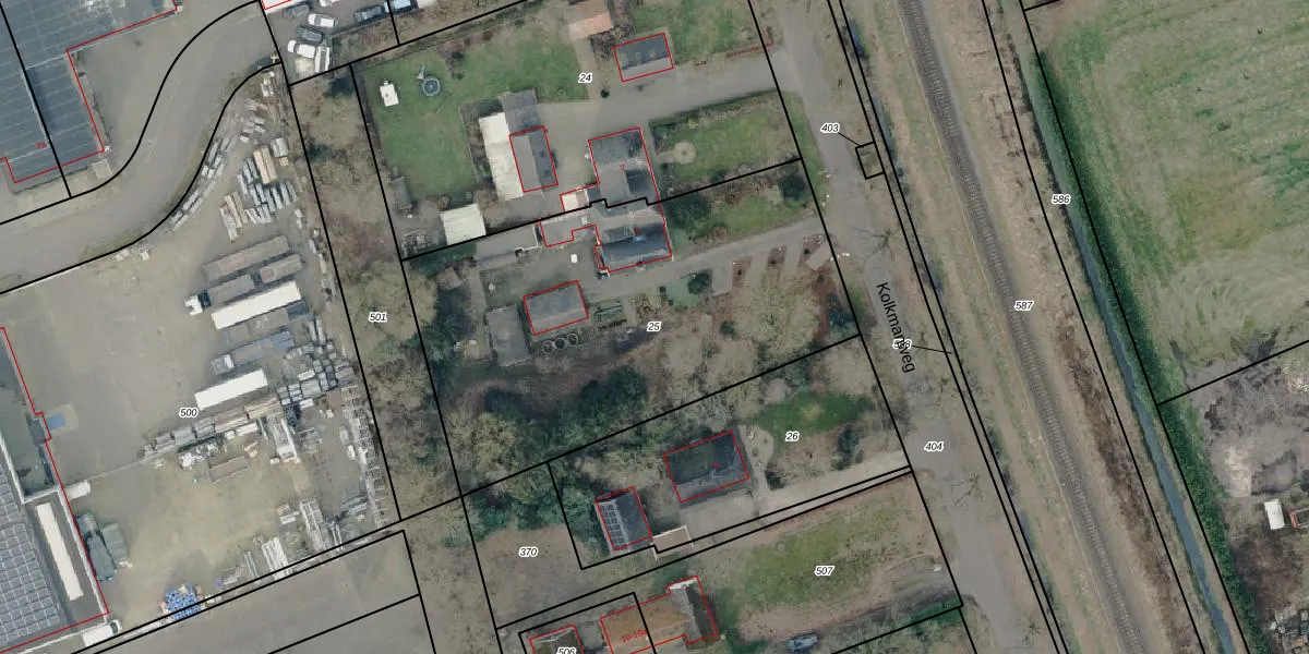
Perceel: HAM00-H-25
KadastraleKaart.com kan meer dan je denktOntdek meer ›
Filter op bestemming 50+ datasets Eigendomsdata in één klik Percelen CRM
2.100 m2 - 198 m
Eigenaar opvragen
HAM00-H-25 (Den Ham)
- 7681 EG
DB qt7s3iRocUi1qsBZq5OC29FEUpgrade naar KadastraleKaart Pro
Bekijk op Street View
Download DWG/DXF/Excel
fqhlj2Ir6WszJSctoEaThiUpgrade naar KadastraleKaart Pro
wl4W03UvUpgrade naar KadastraleKaart Pro
SNxuasd xS Am9IW1i6bGUpgrade naar KadastraleKaart Pro
5284ZYJH6SmHUpgrade naar KadastraleKaart Pro
LjMTNxZ2Z2wjblKNegnR UJUpgrade naar KadastraleKaart Pro
oxya5yXB j09o9BBNtjtdUpgrade naar KadastraleKaart Pro
9k 03tn2rUpgrade naar KadastraleKaart Pro
UC7J1B cP taUpgrade naar KadastraleKaart Pro
0o iRF1ubf1fUpgrade naar KadastraleKaart Pro
TYbB bbh8fNsaEBRUpgrade naar KadastraleKaart Pro
04/04/2002

Percelen
Gebruik de zoekbalk of klik op een perceel om informatie over het perceel te bekijken.