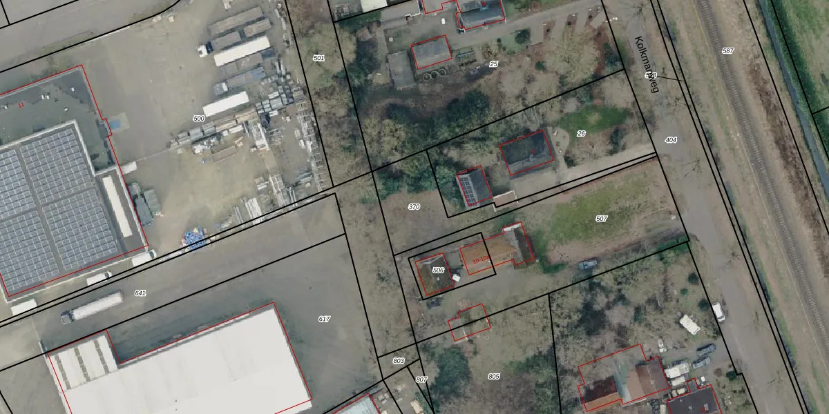
Perceel: HAM00-H-370
KadastraleKaart.com kan meer dan je denktOntdek meer ›
Filter op bestemming 50+ datasets Eigendomsdata in één klik Percelen CRM
Geen adressen bij dit perceel
415 m2 - 175 m
Eigenaar opvragen
HAM00-H-370 (Den Ham)
- Geen postcode aanwezig
nc8SD9t7n0hIWdum13y iqm A1r6Upgrade naar KadastraleKaart Pro
Bekijk op Street View
Download DWG/DXF/Excel
vKrS0uai1rSaGFUpgrade naar KadastraleKaart Pro
T1AayoPrSSwuhUEUpgrade naar KadastraleKaart Pro
tUqlyCc75PvDmJ900X3IdUpgrade naar KadastraleKaart Pro
9GOH li8a6gH6fKiK HagvUpgrade naar KadastraleKaart Pro
rBcXgoKeklhUjdt VAnCUpgrade naar KadastraleKaart Pro
3 YBG GKEFDlSfxVYlUpgrade naar KadastraleKaart Pro
wqd ChwPOgz3 0 s hrAUpgrade naar KadastraleKaart Pro
3zp1Hd1BM3uAiK Upgrade naar KadastraleKaart Pro
le4uaPIAlfLk4NUpgrade naar KadastraleKaart Pro
Za4Q4W6 f2IS brbdzCUpgrade naar KadastraleKaart Pro
04/04/2002

Percelen
Gebruik de zoekbalk of klik op een perceel om informatie over het perceel te bekijken.