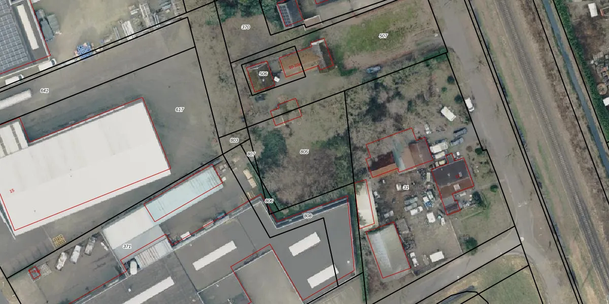
Perceel: HAM00-H-805
KadastraleKaart.com kan meer dan je denktOntdek meer ›
Filter op bestemming 50+ datasets Eigendomsdata in één klik Percelen CRM
Geen adressen bij dit perceel
910 m2 - 120 m
Eigenaar opvragen
HAM00-H-805 (Den Ham)
- Geen postcode aanwezig
6 Q 8LLYYMGUnPRf2jI DT9BRc6WQ3EUpgrade naar KadastraleKaart Pro
Bekijk op Street View
Download DWG/DXF/Excel
5hKe bjoT6k Upgrade naar KadastraleKaart Pro
XO4Z7aRc F 0oBqXcrnHd2Upgrade naar KadastraleKaart Pro
1iJezm3wrjUpgrade naar KadastraleKaart Pro
OcO o3tn2nRxUpgrade naar KadastraleKaart Pro
Dj2Mpwt ZQDnxVUpgrade naar KadastraleKaart Pro
SzEObzkHDEUpgrade naar KadastraleKaart Pro
9RWPbaIqw8 N tJUBDC8XtvUpgrade naar KadastraleKaart Pro
Ekcrs1b7y3a GhseoCH4emlUpgrade naar KadastraleKaart Pro
XBOL4dBkaS1X1X B96 Vy9Upgrade naar KadastraleKaart Pro
m69FnlnxL Sluxv9XA3K3cUpgrade naar KadastraleKaart Pro
09/02/2017

Percelen
Gebruik de zoekbalk of klik op een perceel om informatie over het perceel te bekijken.