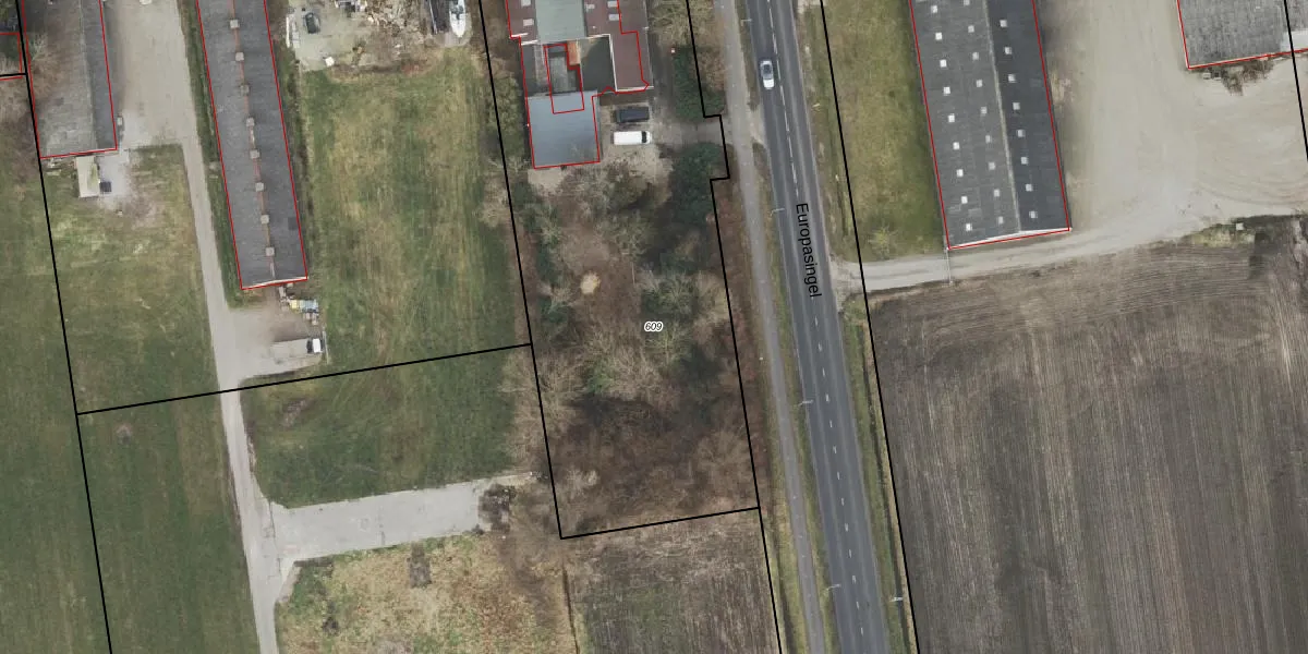
Perceel: HAM00-K-609
KadastraleKaart.com kan meer dan je denktOntdek meer ›
Filter op bestemming 50+ datasets Eigendomsdata in één klik Percelen CRM
3.680 m2 - 306 m
Eigenaar opvragen
HAM00-K-609 (Den Ham)
- 7681 NA
hpO2h826USG63t6ck5VdUpgrade naar KadastraleKaart Pro
Verkoopprijs opvragen
Bekijk op Street View
Download DWG/DXF/Excel
RhgZW5GcNBUpgrade naar KadastraleKaart Pro
XdS62dcaGrM1YHXUdJjUpgrade naar KadastraleKaart Pro
Vr7NfajC Qp oXUpgrade naar KadastraleKaart Pro
W4nTgaZlPO82 ppAf3R86UUpgrade naar KadastraleKaart Pro
QYD vL2yObVfBLn l hZHUpgrade naar KadastraleKaart Pro
ukMbwXgs8Upgrade naar KadastraleKaart Pro
2I R7s3AJrWtGMUpgrade naar KadastraleKaart Pro
vwSXy2z6twZUpgrade naar KadastraleKaart Pro
sPrTgqqqUpgrade naar KadastraleKaart Pro
nk2FkgUIv16f2AvXUpgrade naar KadastraleKaart Pro
29/10/2025

Percelen
Gebruik de zoekbalk of klik op een perceel om informatie over het perceel te bekijken.