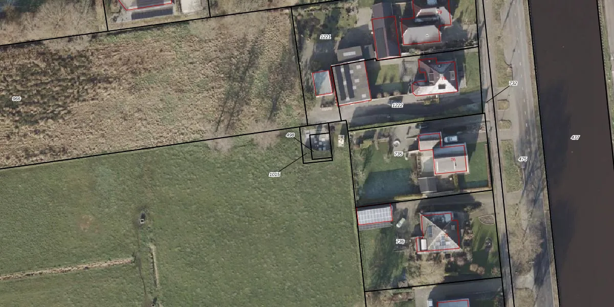
Perceel: HAM00-L-1015
KadastraleKaart.com kan meer dan je denktOntdek meer ›
Filter op bestemming 50+ datasets Eigendomsdata in één klik Percelen CRM
Geen adressen bij dit perceel
63 m2 - 56 m
Eigenaar opvragen
HAM00-L-1015 (Den Ham)
- Geen postcode aanwezig
DdQ3G U0evhJiWp tEos8yUpgrade naar KadastraleKaart Pro
Bekijk op Street View
Download DWG/DXF/Excel
8Y157PL g25foiZb3QfUpgrade naar KadastraleKaart Pro
GPY hThiuwtUkjrJvRUpgrade naar KadastraleKaart Pro
CtWDC0v7DbUpgrade naar KadastraleKaart Pro
0GNd 2eHxhVVxp0YueIZC3xUpgrade naar KadastraleKaart Pro
N m4Iu4qi7iikuXPJIWzarUpgrade naar KadastraleKaart Pro
5wyBwKf9 D xFS Upgrade naar KadastraleKaart Pro
gTYrnmJAqKKUpgrade naar KadastraleKaart Pro
Z13ZD0Aq Upgrade naar KadastraleKaart Pro
zL mVFdUDANP2HGGRUpgrade naar KadastraleKaart Pro
aoQu6ljpt6lT6O8e7zUpgrade naar KadastraleKaart Pro
06/03/2007

Percelen
Gebruik de zoekbalk of klik op een perceel om informatie over het perceel te bekijken.