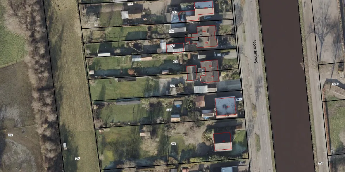
Perceel: HAM00-L-731
KadastraleKaart.com kan meer dan je denktOntdek meer ›
Filter op bestemming 50+ datasets Eigendomsdata in één klik Percelen CRM
1.085 m2 - 201 m
Eigenaar opvragen
HAM00-L-731 (Den Ham)
- 7686 CH
hPiPl8MSzr1Lb9Zv HUpgrade naar KadastraleKaart Pro
Bekijk op Street View
Download DWG/DXF/Excel
KwrR aV9UyLjd9GJrUpgrade naar KadastraleKaart Pro
fXZ 515 Upgrade naar KadastraleKaart Pro
2q9eQCng435xPHyzobQSdUpgrade naar KadastraleKaart Pro
xYr 5c02LQ aKpZVwpUpgrade naar KadastraleKaart Pro
BopV PWikyYVcA3rz0aCUpgrade naar KadastraleKaart Pro
IFHyA0t5Upgrade naar KadastraleKaart Pro
kTjYqqWQg2lUpgrade naar KadastraleKaart Pro
KR4CLTa2PQY zLgWZrr i Upgrade naar KadastraleKaart Pro
h1BBvoAKw7v x7jUpgrade naar KadastraleKaart Pro
DM GcYZeCbuXoUpgrade naar KadastraleKaart Pro
28/08/2007

Percelen
Gebruik de zoekbalk of klik op een perceel om informatie over het perceel te bekijken.