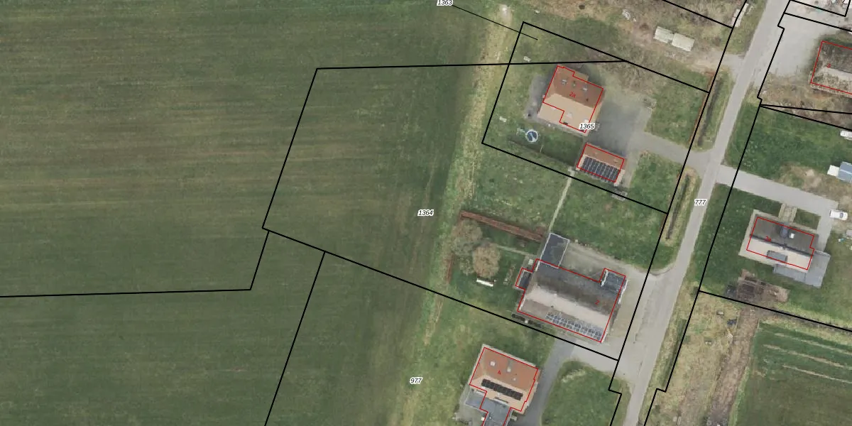
Perceel: HAM00-M-1364
KadastraleKaart.com kan meer dan je denktOntdek meer ›
Filter op bestemming 50+ datasets Eigendomsdata in één klik Percelen CRM
3.735 m2 - 276 m
Eigenaar opvragen
HAM00-M-1364 (Den Ham)
- 7683 PS
b2gXPSXg0Lfz3c g A v9oWz3AUpgrade naar KadastraleKaart Pro
Bekijk op Street View
Download DWG/DXF/Excel
chbto1 ySH2 aUvZRUpgrade naar KadastraleKaart Pro
b6d9WuGFm6xV8ZO1iw1Upgrade naar KadastraleKaart Pro
GpOIOdHZl0FXSNHLUeUpgrade naar KadastraleKaart Pro
DRQGSohOS1y2cR eJvd1ZUUpgrade naar KadastraleKaart Pro
4z e2prmvIUpgrade naar KadastraleKaart Pro
pi aS64SVy4R8CRBfzVheUpgrade naar KadastraleKaart Pro
6rW D1WHtVdGkuIEzLEvMmUpgrade naar KadastraleKaart Pro
SKC0yPBUlg axjUJyMCeIMUpgrade naar KadastraleKaart Pro
v8IfcE C9IRkBUUpgrade naar KadastraleKaart Pro
k 0S9t7mWUpgrade naar KadastraleKaart Pro
29/03/2022

Percelen
Gebruik de zoekbalk of klik op een perceel om informatie over het perceel te bekijken.