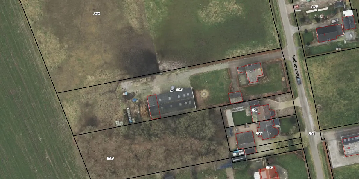
Perceel: HAM00-N-1052
KadastraleKaart.com kan meer dan je denktOntdek meer ›
Filter op bestemming 50+ datasets Eigendomsdata in één klik Percelen CRM
3.180 m2 - 302 m
Eigenaar opvragen
HAM00-N-1052 (Den Ham)
- 7683 RW
prfGsk8qoSRs 2YY31UYOUpgrade naar KadastraleKaart Pro
Verkoopprijs opvragen
Bekijk op Street View
Download DWG/DXF/Excel
jezbU2 YdJg4o Vqd XZD7Upgrade naar KadastraleKaart Pro
RyPRxAcdRnfoj FdfNiPUpgrade naar KadastraleKaart Pro
OW03 CMROXRe78TKUpgrade naar KadastraleKaart Pro
BqmFZp3rENu V6Ez4tUpgrade naar KadastraleKaart Pro
X32PuJwUfWUpgrade naar KadastraleKaart Pro
P2MKuXLvqAb Upgrade naar KadastraleKaart Pro
MZOyonbrdHz108a RiUpgrade naar KadastraleKaart Pro
rO XEhsPsXO1EnexxUpgrade naar KadastraleKaart Pro
EasuiibyOU8Upgrade naar KadastraleKaart Pro
Cvfg ueO 4iE Upgrade naar KadastraleKaart Pro
04/12/2001

Percelen
Gebruik de zoekbalk of klik op een perceel om informatie over het perceel te bekijken.