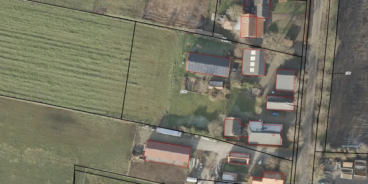
Perceel: HAM00-N-1243
KadastraleKaart.com kan meer dan je denktOntdek meer ›
Filter op bestemming 50+ datasets Eigendomsdata in één klik Percelen CRM
5.110 m2 - 299 m
Eigenaar opvragen
HAM00-N-1243 (Den Ham)
- 7683 SX
rGotml8 5s27NeTvAZHOU06wF2Upgrade naar KadastraleKaart Pro
Bekijk op Street View
Download DWG/DXF/Excel
HXxsUla8G0qabDQxms98NUpgrade naar KadastraleKaart Pro
syRygw1MnKVarwZh QHEUpgrade naar KadastraleKaart Pro
v9v BmvwVRjep S RGKcPUpgrade naar KadastraleKaart Pro
oCO jEsyUpgrade naar KadastraleKaart Pro
Shw Ga2MfHUpgrade naar KadastraleKaart Pro
Q zVTHKaQnzJehUpgrade naar KadastraleKaart Pro
vxZLX t4CCwbb4IS9IQUpgrade naar KadastraleKaart Pro
2mO YLNLP8Upgrade naar KadastraleKaart Pro
EqCx2lrfPR0fNjchr3XUpgrade naar KadastraleKaart Pro
g7bpz 0n0 ORbhfG zNh9yUpgrade naar KadastraleKaart Pro
15/11/2002

Percelen
Gebruik de zoekbalk of klik op een perceel om informatie over het perceel te bekijken.