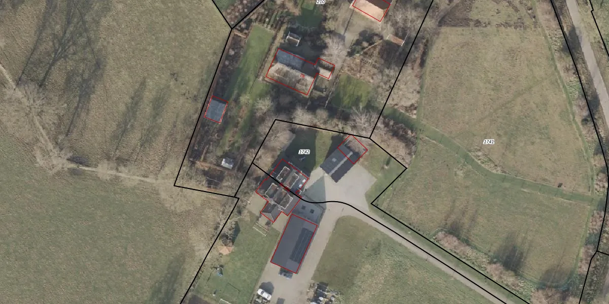
Perceel: HAM00-N-1742
KadastraleKaart.com kan meer dan je denktOntdek meer ›
Filter op bestemming 50+ datasets Eigendomsdata in één klik Percelen CRM
1.250 m2 - 284 m
Eigenaar opvragen
HAM00-N-1742 (Den Ham)
- 7683 SR
lMQUpG4H ygzcEl3q0uUpgrade naar KadastraleKaart Pro
Bekijk op Street View
Download DWG/DXF/Excel
sW iwjSJ0SUpgrade naar KadastraleKaart Pro
Dvh7o Ar8VXVa ss jUpgrade naar KadastraleKaart Pro
N96Ac QUBvypFAj 3 SW0zUpgrade naar KadastraleKaart Pro
vg bOXA7y0KDPFKUpgrade naar KadastraleKaart Pro
SiOS79PpGFQ030O0r5m8JNUpgrade naar KadastraleKaart Pro
lwZsozpkZrXKAkX6gUpgrade naar KadastraleKaart Pro
WRS xJN 4HZ3P2fP5lUvPuHUpgrade naar KadastraleKaart Pro
gmq6 VforpiJUpgrade naar KadastraleKaart Pro
M9Owl89n ItveFLebUpgrade naar KadastraleKaart Pro
dP98R9BbNycOwiTfaaqUpgrade naar KadastraleKaart Pro
04/12/2017

Percelen
Gebruik de zoekbalk of klik op een perceel om informatie over het perceel te bekijken.