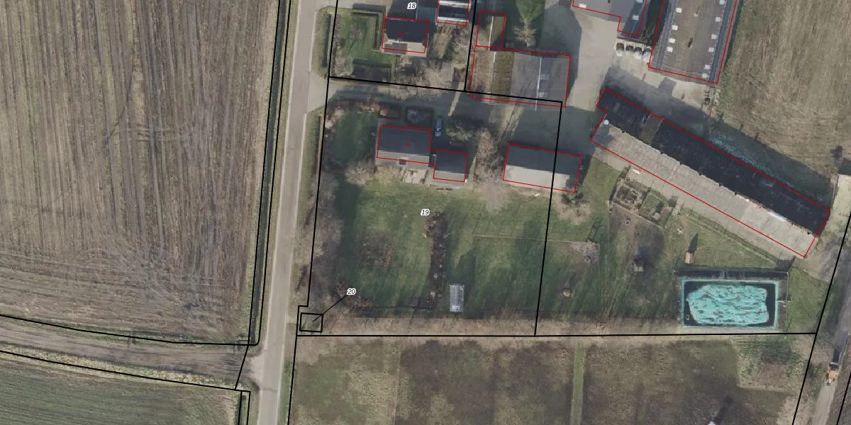
Perceel: HAM00-N-19
KadastraleKaart.com kan meer dan je denktOntdek meer ›
Filter op bestemming 50+ datasets Eigendomsdata in één klik Percelen CRM
3.170 m2 - 248 m
Eigenaar opvragen
HAM00-N-19 (Den Ham)
- 7683 SX
ug8C s4uh 04rV tSwEu0AmX8iNMdLUpgrade naar KadastraleKaart Pro
Bekijk op Street View
Download DWG/DXF/Excel
6s FW0v16kx7Ow Upgrade naar KadastraleKaart Pro
J4J13Lb GUpgrade naar KadastraleKaart Pro
UXbg hEPzUpgrade naar KadastraleKaart Pro
nU7MjZB3U7 t3uUpgrade naar KadastraleKaart Pro
c8ZdPyIoW60br4kgE7Upgrade naar KadastraleKaart Pro
h aA3OYqtL9fy6qhaiUpgrade naar KadastraleKaart Pro
QX 0px kKcHh f29dXUpgrade naar KadastraleKaart Pro
rtxKJ20JtsFMX 9Upgrade naar KadastraleKaart Pro
hcDk3ER14Upgrade naar KadastraleKaart Pro
Z6QefU42h Bj1IukUpgrade naar KadastraleKaart Pro
10/12/2008

Percelen
Gebruik de zoekbalk of klik op een perceel om informatie over het perceel te bekijken.