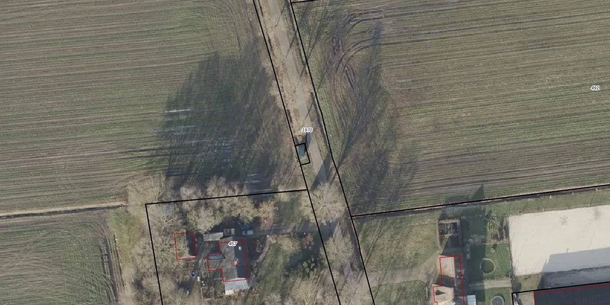
Perceel: HAM00-N-1970
KadastraleKaart.com kan meer dan je denktOntdek meer ›
Filter op bestemming 50+ datasets Eigendomsdata in één klik Percelen CRM
Geen adressen bij dit perceel
21 m2 - 20 m
Eigenaar opvragen
HAM00-N-1970 (Den Ham)
- Geen postcode aanwezig
YFwnz8EoOGEBzGGPxhbNJWX VqSCUpgrade naar KadastraleKaart Pro
Bekijk op Street View
Download DWG/DXF/Excel
YDUDkyjEesEhJqpftA EUpgrade naar KadastraleKaart Pro
xdZdy3cSkZLd1R2UcHeuKUpgrade naar KadastraleKaart Pro
W8f Y 2tVKxtpQJ4hH Upgrade naar KadastraleKaart Pro
WCpEbn6UhVUpgrade naar KadastraleKaart Pro
efpz QF7JL36hRqBI102Upgrade naar KadastraleKaart Pro
aiNCQ R O4NrzUpgrade naar KadastraleKaart Pro
WMychyeJ7A9lXw qRrbjUpgrade naar KadastraleKaart Pro
bVlg3vZedUMM6EjGRICCUpgrade naar KadastraleKaart Pro
OgQKklKaCuRUpgrade naar KadastraleKaart Pro
hMU9UeMUVxQjjyCUpgrade naar KadastraleKaart Pro
10/06/2025

Percelen
Gebruik de zoekbalk of klik op een perceel om informatie over het perceel te bekijken.