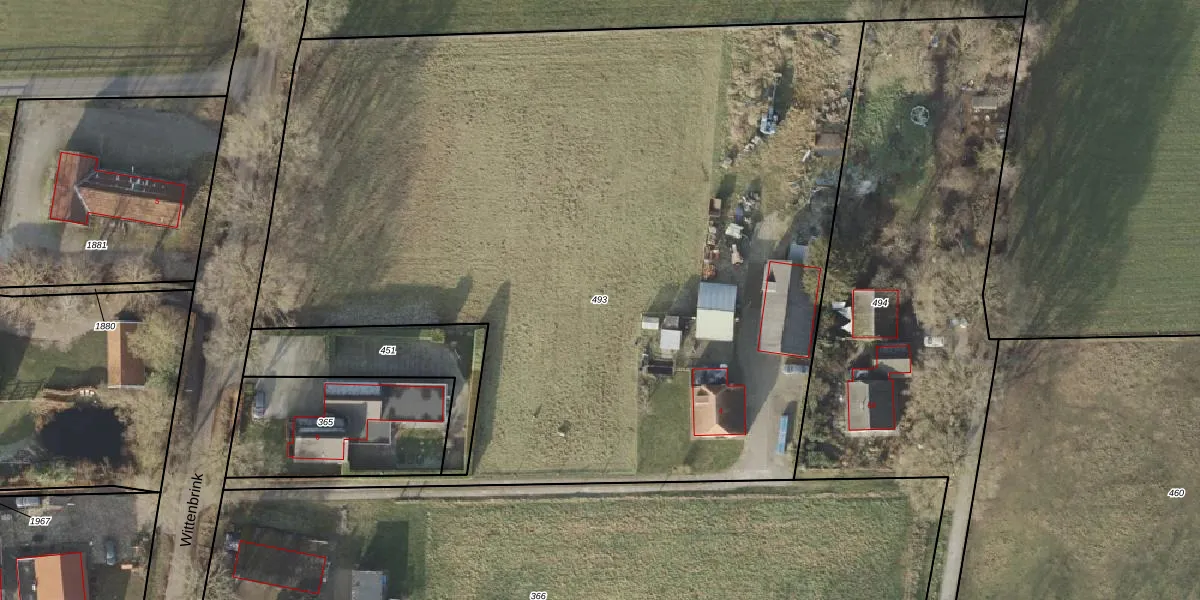
Perceel: HAM00-N-493
KadastraleKaart.com kan meer dan je denktOntdek meer ›
Filter op bestemming 50+ datasets Eigendomsdata in één klik Percelen CRM
6.135 m2 - 423 m
Eigenaar opvragen
HAM00-N-493 (Den Ham)
- 7683 RD
4peG QG4Ze18OcFy3 Z44VIaP9 tVoUpgrade naar KadastraleKaart Pro
Bekijk op Street View
Download DWG/DXF/Excel
cXNmLO6 9dsarUpgrade naar KadastraleKaart Pro
o6i OZwADRXiMkkV5Upgrade naar KadastraleKaart Pro
gCpA 8 ymXKczqy2FP2AQ4KUpgrade naar KadastraleKaart Pro
dnD10vnHEYB7vl3r 9RQN5Upgrade naar KadastraleKaart Pro
KYgnsWj4HyZqDUpgrade naar KadastraleKaart Pro
aMiWY1OXTUpgrade naar KadastraleKaart Pro
fldkVCiX1cKz5loeP3FkLMXUpgrade naar KadastraleKaart Pro
QO R8bx1j87atjO5QnEdUpgrade naar KadastraleKaart Pro
TE Sw uFs9Z9B sxsZftvUpgrade naar KadastraleKaart Pro
RbWTQJm RG wpcPFM1ShUpgrade naar KadastraleKaart Pro
06/12/2002

Percelen
Gebruik de zoekbalk of klik op een perceel om informatie over het perceel te bekijken.