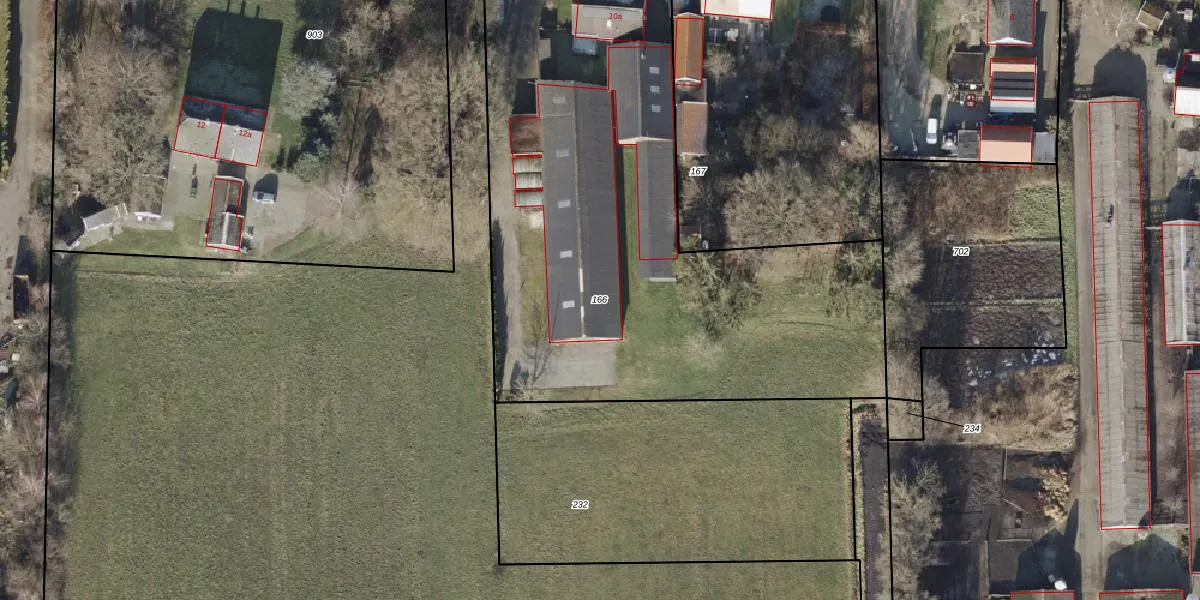
Perceel: HAM00-O-166
KadastraleKaart.com kan meer dan je denktOntdek meer ›
Filter op bestemming 50+ datasets Eigendomsdata in één klik Percelen CRM
3.455 m2 - 299 m
Eigenaar opvragen
HAM00-O-166 (Den Ham)
- 7686 AC
63CRtavVm2e5wzuxElcfx A 6Djzeb8Upgrade naar KadastraleKaart Pro
Verkoopprijs opvragen
Bekijk op Street View
Download DWG/DXF/Excel
qHjZA3BX aCUpgrade naar KadastraleKaart Pro
jAy5yn D8eSgzxVk3fjLLUpgrade naar KadastraleKaart Pro
GRjmTTL z CJ WFRRIUpgrade naar KadastraleKaart Pro
KP8aDCtuieM5Upgrade naar KadastraleKaart Pro
P QWpz3OsdVUpgrade naar KadastraleKaart Pro
hCUlEWCGcLuA0yJyfUpgrade naar KadastraleKaart Pro
HIndPQ JnAmqtTK n xe0Upgrade naar KadastraleKaart Pro
gmbl25EnR4 4i q4D5zUpgrade naar KadastraleKaart Pro
G8Xy9GomX jUpgrade naar KadastraleKaart Pro
Z7PjHpobUpgrade naar KadastraleKaart Pro
07/03/2002

Percelen
Gebruik de zoekbalk of klik op een perceel om informatie over het perceel te bekijken.