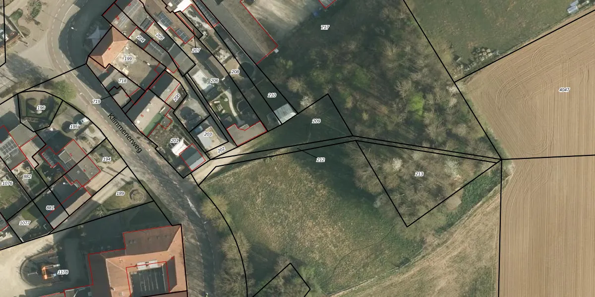
Perceel: HBG02-E-212
KadastraleKaart.com kan meer dan je denktOntdek meer ›
Filter op bestemming 50+ datasets Eigendomsdata in één klik Percelen CRM
Geen adressen bij dit perceel
205 m2 - 219 m
Eigenaar opvragen
HBG02-E-212 (Hulsberg)
- Geen postcode aanwezig
2Ym w4mDgbOWNBuAkUpgrade naar KadastraleKaart Pro
Bekijk op Street View
Download DWG/DXF/Excel
x7D3 IFG48g1XM5kDUeIUpgrade naar KadastraleKaart Pro
yffzW3bb QsoQZdUpgrade naar KadastraleKaart Pro
16kx3ozHAnZSAeEUxUpgrade naar KadastraleKaart Pro
s3lrev0 p2GS l Upgrade naar KadastraleKaart Pro
RunJ5eLjlVZ qmUpgrade naar KadastraleKaart Pro
eylX6LQe4bk9aFUpgrade naar KadastraleKaart Pro
f3 4iNG1VaDXTT 27Upgrade naar KadastraleKaart Pro
Vp qCMBMJ4RoUpgrade naar KadastraleKaart Pro
q6Le2kjZcNUpgrade naar KadastraleKaart Pro
2C17VtW6mV2pHK8TyUpgrade naar KadastraleKaart Pro
19/10/2009

Percelen
Gebruik de zoekbalk of klik op een perceel om informatie over het perceel te bekijken.