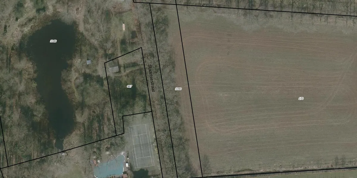
Perceel: HBG03-B-1090
KadastraleKaart.com kan meer dan je denktOntdek meer ›
Filter op bestemming 50+ datasets Eigendomsdata in één klik Percelen CRM
Geen adressen bij dit perceel
1.450 m2 - 227 m
Eigenaar opvragen
HBG03-B-1090 (Huijbergen)
- Geen postcode aanwezig
EnLOWk0 EgXayjmgPk1t7GmTPWYUpgrade naar KadastraleKaart Pro
Bekijk op Street View
Download DWG/DXF/Excel
IYBkOJwNuUpgrade naar KadastraleKaart Pro
Ge7Yyo izgqwJuBUpgrade naar KadastraleKaart Pro
qVQv5 z7C CsX5Upgrade naar KadastraleKaart Pro
v VeznU2n2tUpgrade naar KadastraleKaart Pro
QDeF8q j8dp W Ypl9hu8wUpgrade naar KadastraleKaart Pro
USGLtkMn PKoUqdIoUpgrade naar KadastraleKaart Pro
gv0xEI v6F Px7YZUpgrade naar KadastraleKaart Pro
ESenXvMcZT7xUpgrade naar KadastraleKaart Pro
Z1xFND rhHEUDUpgrade naar KadastraleKaart Pro
fAYclspSzLhyv koptGUpgrade naar KadastraleKaart Pro
17/05/2005

Percelen
Gebruik de zoekbalk of klik op een perceel om informatie over het perceel te bekijken.