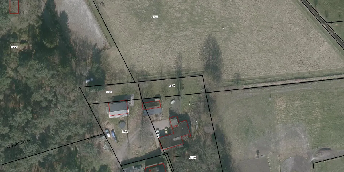
Perceel: HBG03-C-1839
KadastraleKaart.com kan meer dan je denktOntdek meer ›
Filter op bestemming 50+ datasets Eigendomsdata in één klik Percelen CRM
Geen adressen bij dit perceel
370 m2 - 96 m
Eigenaar opvragen
HBG03-C-1839 (Huijbergen)
- Geen postcode aanwezig
svCf wGJcs6a BIPUpgrade naar KadastraleKaart Pro
Bekijk op Street View
Download DWG/DXF/Excel
dZC tsX s HtvPnUpgrade naar KadastraleKaart Pro
JyCqfEP7 jUpgrade naar KadastraleKaart Pro
7VKOS oCLaUpgrade naar KadastraleKaart Pro
w rwIpzoQHQP9hIMIUGnAczUpgrade naar KadastraleKaart Pro
aUO tPfNnUpgrade naar KadastraleKaart Pro
q96E6QSmGaFqvUpgrade naar KadastraleKaart Pro
XQ sYq RcUpgrade naar KadastraleKaart Pro
ijA CL9oIcQ4jUPfSqsjUpgrade naar KadastraleKaart Pro
Uk 5OhJzVojZh3Bl5 Qco7Upgrade naar KadastraleKaart Pro
zVeYm3lEJEhmFnolUpgrade naar KadastraleKaart Pro
17/05/2005

Percelen
Gebruik de zoekbalk of klik op een perceel om informatie over het perceel te bekijken.