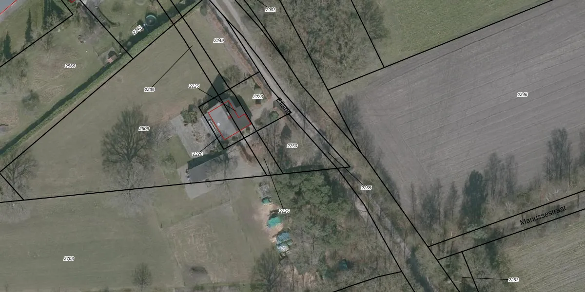
Perceel: HBG03-C-2250
Geen adressen bij dit perceel
255 m2 - 73 m
Eigenaar opvragen
HBG03-C-2250 (Huijbergen)
- Geen postcode aanwezig
kcRXbbiRop gem9b0b dWUpgrade naar KadastraleKaart Pro
Bekijk op Street View
Download DWG/DXF/Excel
xXtw 33fM1HrzfjrYn jyUpgrade naar KadastraleKaart Pro
xoO9d 0rBLpFm7Upgrade naar KadastraleKaart Pro
aiM qYd36WB dQ1n qTqczUpgrade naar KadastraleKaart Pro
yMkXLJJ2 ku j7RF2Upgrade naar KadastraleKaart Pro
vFbOqDfl2Upgrade naar KadastraleKaart Pro
siwfq83wCR5upFUpgrade naar KadastraleKaart Pro
4R379zON8L6Upgrade naar KadastraleKaart Pro
yEGoDMz4BOKKjUpgrade naar KadastraleKaart Pro
k8yiN6haCea5zeUpgrade naar KadastraleKaart Pro
Bk ygAPvoL8jqoUpgrade naar KadastraleKaart Pro
17/05/2005

Percelen
Gebruik de zoekbalk of klik op een perceel om informatie over het perceel te bekijken.