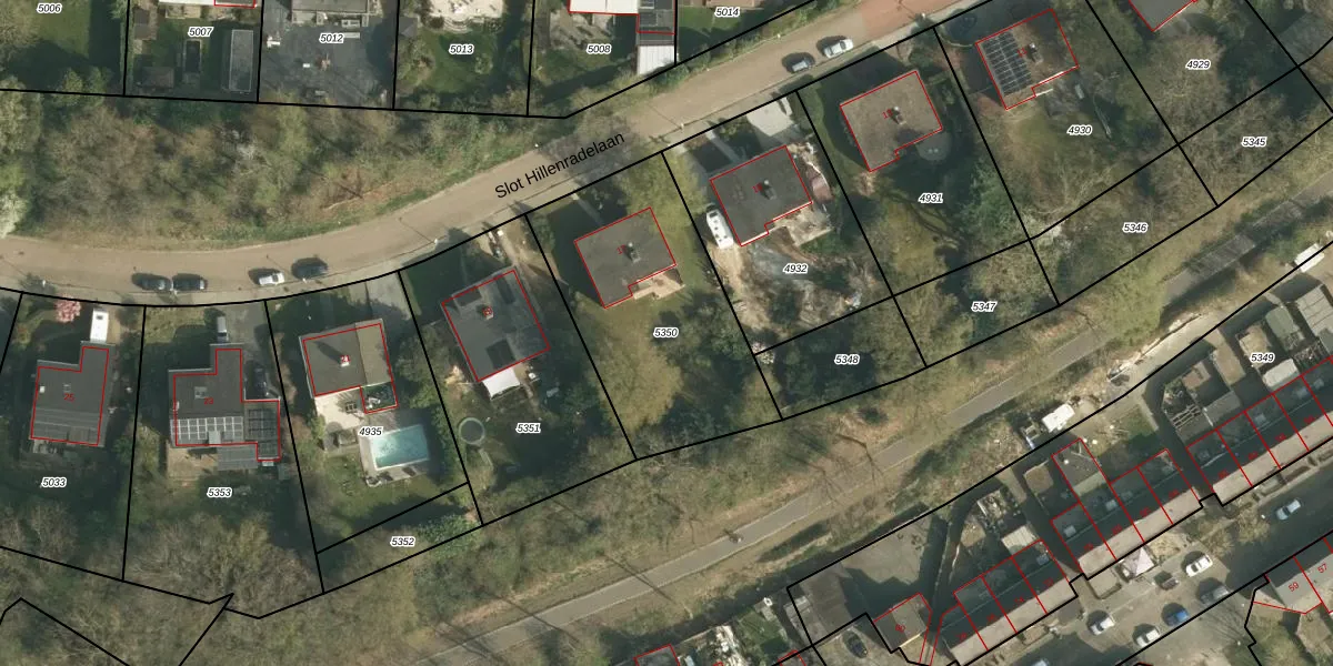
Perceel: HBK00-A-5350
KadastraleKaart.com kan meer dan je denktOntdek meer ›
Filter op bestemming 50+ datasets Eigendomsdata in één klik Percelen CRM
950 m2 - 130 m
Eigenaar opvragen
HBK00-A-5350 (Hoensbroek)
- 6432 JH
78 6pv HKP7 gDkMmoEX2Upgrade naar KadastraleKaart Pro
Bekijk op Street View
Download DWG/DXF/Excel
HnyQTNFO03a5F83rEOHUpgrade naar KadastraleKaart Pro
OXjUCPZHIWq hlnwbCvlwqUpgrade naar KadastraleKaart Pro
BxrRVhY1TUpgrade naar KadastraleKaart Pro
pb2hSxBAIZ0sFpVgjs0i0 rUpgrade naar KadastraleKaart Pro
CUGzGvyNFUpgrade naar KadastraleKaart Pro
4oj9Z5DJWE 0Bpm Upgrade naar KadastraleKaart Pro
OfEbefw900Cj7RcOg82UTUpgrade naar KadastraleKaart Pro
FuclwvLlUpgrade naar KadastraleKaart Pro
Rna asxAStxk rXUpgrade naar KadastraleKaart Pro
tucqfwjkgUpgrade naar KadastraleKaart Pro
20/05/2009

Percelen
Gebruik de zoekbalk of klik op een perceel om informatie over het perceel te bekijken.