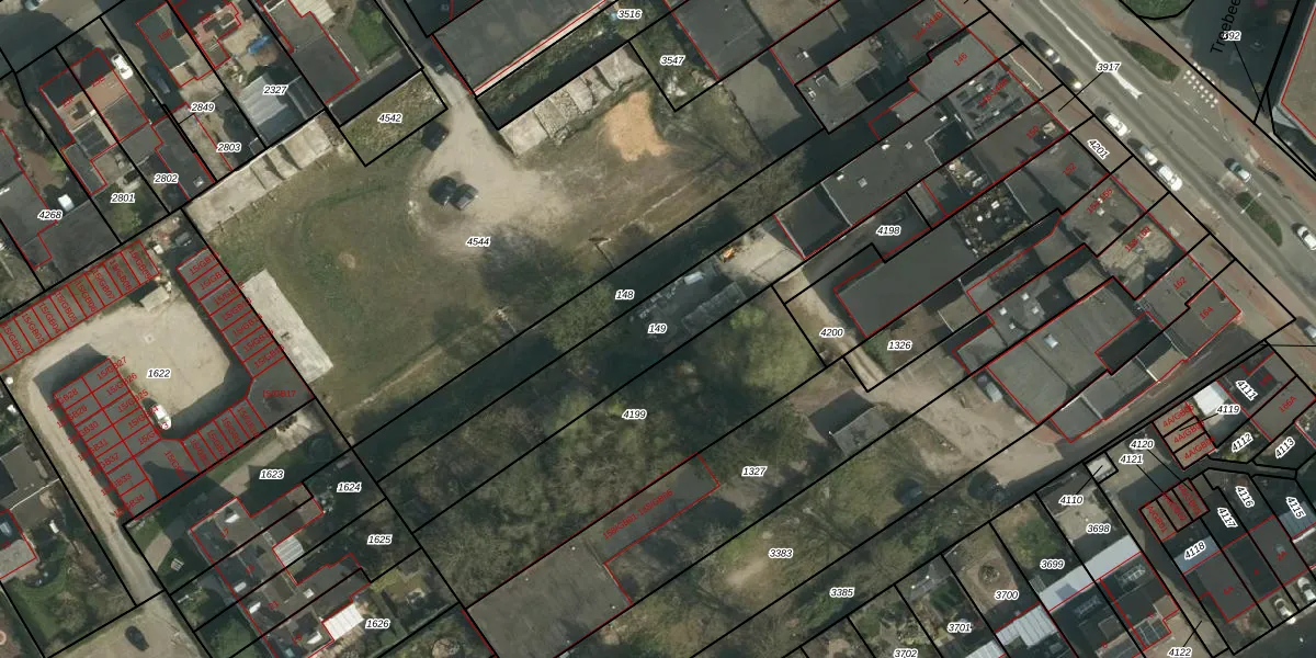
Perceel: HBK00-D-149
KadastraleKaart.com kan meer dan je denktOntdek meer ›
Filter op bestemming 50+ datasets Eigendomsdata in één klik Percelen CRM
1.060 m2 - 257 m
Eigenaar opvragen
HBK00-D-149 (Hoensbroek)
- 6431 HR
wi6lOMzpu65NNga7nHeRukIJUpgrade naar KadastraleKaart Pro
Verkoopprijs opvragen
Bekijk op Street View
Download DWG/DXF/Excel
XIGsigVi1Upgrade naar KadastraleKaart Pro
svQS FFt77OMueLlOTTs5GUpgrade naar KadastraleKaart Pro
u I1NvELwJUpgrade naar KadastraleKaart Pro
RZAsXgGyW9FtnHRtR3Upgrade naar KadastraleKaart Pro
y5dJ6Iy 6 h3tlM3o2qmUpgrade naar KadastraleKaart Pro
YrPeoC 7 bhUpgrade naar KadastraleKaart Pro
b5 1OYP4Upgrade naar KadastraleKaart Pro
K8Z2Zepe 44I eUpgrade naar KadastraleKaart Pro
gAS spGxFSjvMRs8Upgrade naar KadastraleKaart Pro
ZdE2OfIwYGL5adJ4Upgrade naar KadastraleKaart Pro
22/09/2009

Percelen
Gebruik de zoekbalk of klik op een perceel om informatie over het perceel te bekijken.