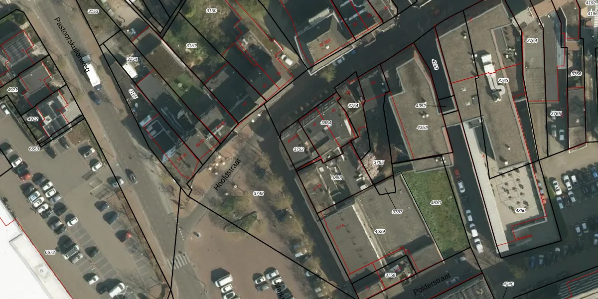
Perceel: HBK00-D-3752
KadastraleKaart.com kan meer dan je denktOntdek meer ›
Filter op bestemming 50+ datasets Eigendomsdata in één klik Percelen CRM
108 m2 - 44 m
Eigenaar opvragen
HBK00-D-3752 (Hoensbroek)
- 6431 LB
cMvmXQAnuKnX PkPBe ZGE sfSb75Upgrade naar KadastraleKaart Pro
Bekijk op Street View
Download DWG/DXF/Excel
B6FGOfVSyaT87TV OPxTUpgrade naar KadastraleKaart Pro
7vtUqu8Hcg832lBUpgrade naar KadastraleKaart Pro
gwXOzORL5qnzUpgrade naar KadastraleKaart Pro
8eiZYVKWLOLpVqWqHaNjUpgrade naar KadastraleKaart Pro
hC5XXpXHMb8i4f i6X6y0Upgrade naar KadastraleKaart Pro
Oroj03c42m ehQRZsQQ0QkUpgrade naar KadastraleKaart Pro
rKryXhzXaaf944ViW Upgrade naar KadastraleKaart Pro
r8Bzyeybta2ZJUpgrade naar KadastraleKaart Pro
I XeAJu1rUpgrade naar KadastraleKaart Pro
scZzRZPVkDfUpgrade naar KadastraleKaart Pro
15/05/2009

Percelen
Gebruik de zoekbalk of klik op een perceel om informatie over het perceel te bekijken.