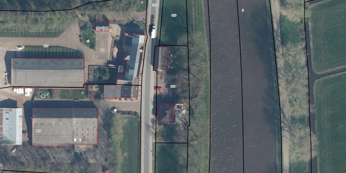
Perceel: HBL00-D-648
KadastraleKaart.com kan meer dan je denktOntdek meer ›
Filter op bestemming 50+ datasets Eigendomsdata in één klik Percelen CRM
1.060 m2 - 153 m
Eigenaar opvragen
HBL00-D-648 (Hoogblokland)
- 4221 XZ
AUyC nOGmR8KdZF1bRLUpgrade naar KadastraleKaart Pro
Verkoopprijs opvragen
Bekijk op Street View
Download DWG/DXF/Excel
gpQXkgGJNuEXUpgrade naar KadastraleKaart Pro
ViPhrNxdagUpgrade naar KadastraleKaart Pro
siXAthPfs9RXTP1 gjthUpgrade naar KadastraleKaart Pro
8h2 ikjK Upgrade naar KadastraleKaart Pro
dtR Jw cUpgrade naar KadastraleKaart Pro
YEG3G k7xldUpgrade naar KadastraleKaart Pro
KfJTzHh6XO8Upgrade naar KadastraleKaart Pro
QiHZeBWzx6 4JnUW2EkgYjiUpgrade naar KadastraleKaart Pro
Tx jYU38EfNcxkQpS3aeUpgrade naar KadastraleKaart Pro
uMv VFoVGV oG9 gUpgrade naar KadastraleKaart Pro
22/09/2004

Percelen
Gebruik de zoekbalk of klik op een perceel om informatie over het perceel te bekijken.