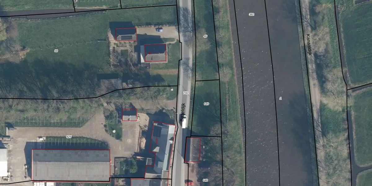
Perceel: HBL00-D-742
KadastraleKaart.com kan meer dan je denktOntdek meer ›
Filter op bestemming 50+ datasets Eigendomsdata in één klik Percelen CRM
Geen adressen bij dit perceel
10.166 m2 - 2.295 m
Eigenaar opvragen
HBL00-D-742 (Hoogblokland)
- Geen postcode aanwezig
WtnuxOLqMf3rTngXW2qPz5ey1LUpgrade naar KadastraleKaart Pro
Bekijk op Street View
Download DWG/DXF/Excel
RFy9lzdpOUpgrade naar KadastraleKaart Pro
XuOlE22OYUpgrade naar KadastraleKaart Pro
Yr5w7ynEzTx2q9TUpgrade naar KadastraleKaart Pro
XG4FvkJoUsT6IDhgUpgrade naar KadastraleKaart Pro
VWri JY8B2YgcUpgrade naar KadastraleKaart Pro
bTU4BBz7xuboGw d6JAUpgrade naar KadastraleKaart Pro
NB4TwY SqQ34fu93Upgrade naar KadastraleKaart Pro
V NbZ S OkLPNBUpgrade naar KadastraleKaart Pro
wlHQydoznE 7cGXO6wDUpgrade naar KadastraleKaart Pro
rTtL1Y EO67atImSdtxV Upgrade naar KadastraleKaart Pro
22/10/2024

Percelen
Gebruik de zoekbalk of klik op een perceel om informatie over het perceel te bekijken.