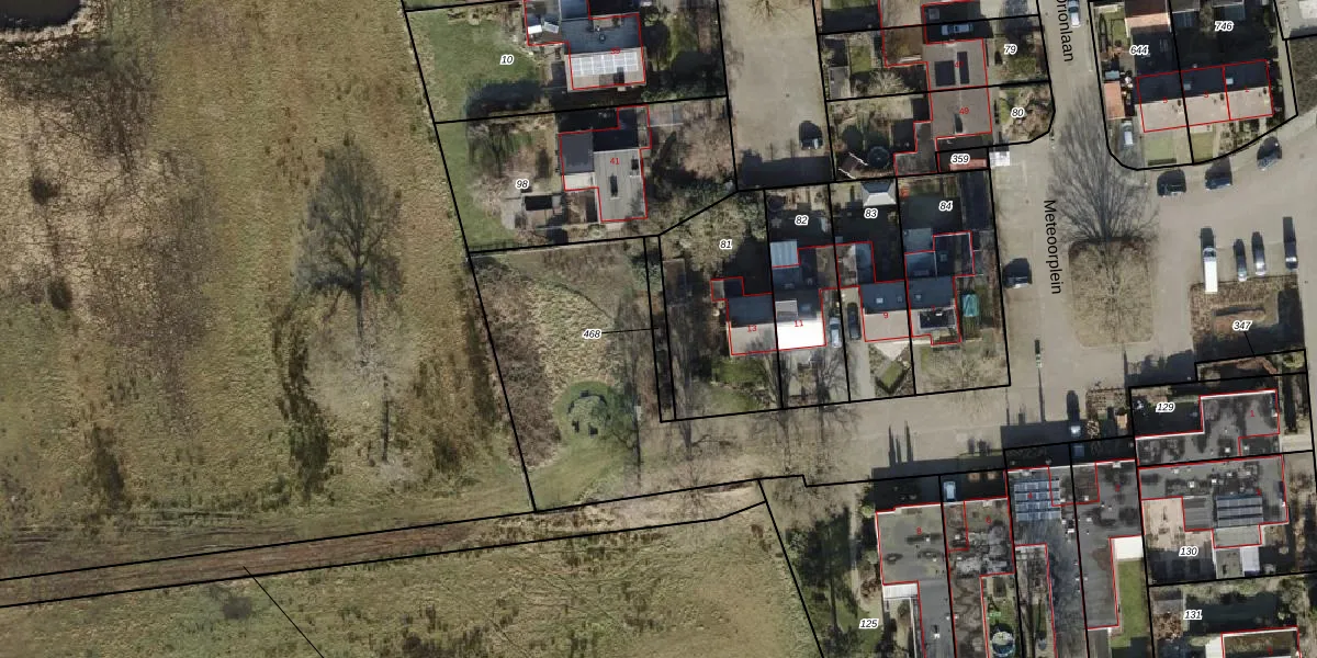
Perceel: HDB01-AD-468
KadastraleKaart.com kan meer dan je denktOntdek meer ›
Filter op bestemming 50+ datasets Eigendomsdata in één klik Percelen CRM
Geen adressen bij dit perceel
57 m2 - 61 m
Eigenaar opvragen
HDB01-AD-468 (Ambt-Hardenberg)
- Geen postcode aanwezig
Y5FfCK hZ4TrFbeQvMRw0AZk5doUpgrade naar KadastraleKaart Pro
Bekijk op Street View
Download DWG/DXF/Excel
ySdRpdV9jIbCcrHThY5VzUpgrade naar KadastraleKaart Pro
dJDoKYJ5 y7IdXEk8HLeEUpgrade naar KadastraleKaart Pro
4E18AWfYbtEUpgrade naar KadastraleKaart Pro
D4Hj69cEf 4UDUpgrade naar KadastraleKaart Pro
0M OoZGTEZvjQtmaMGUpgrade naar KadastraleKaart Pro
eNc KYcitoqk 6nQodpcUVUpgrade naar KadastraleKaart Pro
HSfBv7VzbUpgrade naar KadastraleKaart Pro
u j8kb KXIrr1V7uR7C8Upgrade naar KadastraleKaart Pro
Nrij G9K6WxUpgrade naar KadastraleKaart Pro
iZ vme UBDtUMGaTUpgrade naar KadastraleKaart Pro
20/08/2009

Percelen
Gebruik de zoekbalk of klik op een perceel om informatie over het perceel te bekijken.