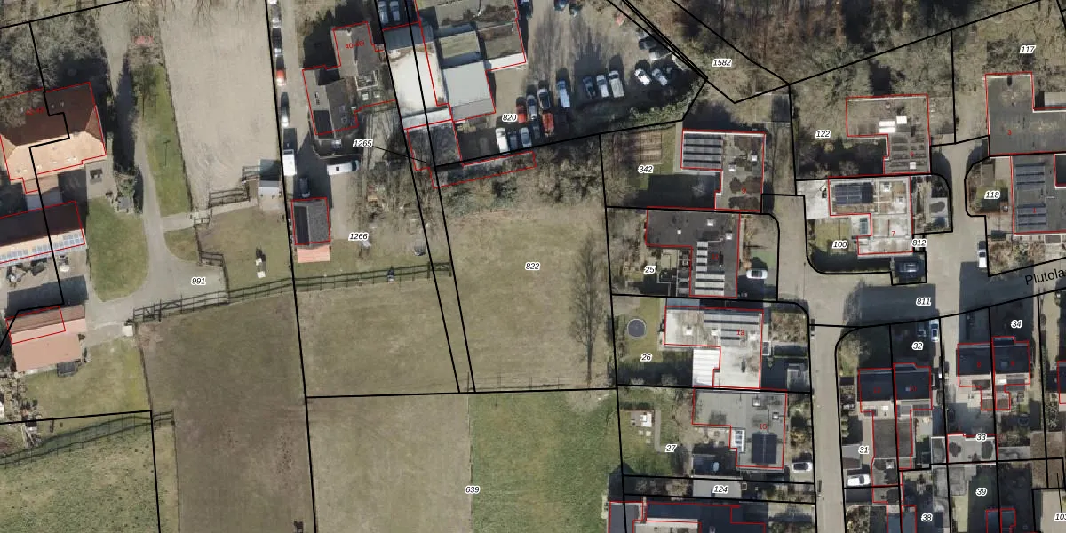
Perceel: HDB01-AE-822
KadastraleKaart.com kan meer dan je denktOntdek meer ›
Filter op bestemming 50+ datasets Eigendomsdata in één klik Percelen CRM
Geen adressen bij dit perceel
1.302 m2 - 149 m
Eigenaar opvragen
HDB01-AE-822 (Ambt-Hardenberg)
- Geen postcode aanwezig
fwQ0GBDxe8g23VB7kITHKUpgrade naar KadastraleKaart Pro
Bekijk op Street View
Download DWG/DXF/Excel
HG1nII6YDkAXKbUpgrade naar KadastraleKaart Pro
kR5p Z9S 0MIHMD0rC8AMUpgrade naar KadastraleKaart Pro
xmMDJrtzUpgrade naar KadastraleKaart Pro
ZyNusoMonzUpgrade naar KadastraleKaart Pro
PTbBbct WWWPyqZrwb AUpgrade naar KadastraleKaart Pro
nU3ZnIGVUpgrade naar KadastraleKaart Pro
X8K3d5mfSG 5R1Upgrade naar KadastraleKaart Pro
SU 5ObayihEkpUpgrade naar KadastraleKaart Pro
0gq G LCOgelAlVpd75Upgrade naar KadastraleKaart Pro
jkhEGx Qv0r7NXLUpgrade naar KadastraleKaart Pro
25/01/2007

Percelen
Gebruik de zoekbalk of klik op een perceel om informatie over het perceel te bekijken.