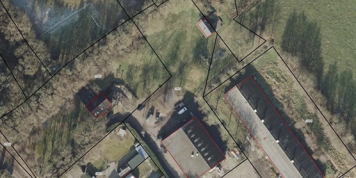
Perceel: HDB01-G-2959
KadastraleKaart.com kan meer dan je denktOntdek meer ›
Filter op bestemming 50+ datasets Eigendomsdata in één klik Percelen CRM
Geen adressen bij dit perceel
4.160 m2 - 330 m
Eigenaar opvragen
HDB01-G-2959 (Ambt-Hardenberg)
- Geen postcode aanwezig
pScauS qM4uy KkElvKmsXqkAgV0qMUpgrade naar KadastraleKaart Pro
Bekijk op Street View
Download DWG/DXF/Excel
I9nkECDzmlvQGCVsLUpgrade naar KadastraleKaart Pro
BFdBJze6oDazR6ibUpgrade naar KadastraleKaart Pro
0GvJI h0 C HK N0gFc8iRUpgrade naar KadastraleKaart Pro
qRnQlFR Upgrade naar KadastraleKaart Pro
K1Su0R7 gUpgrade naar KadastraleKaart Pro
ZKkUgicu VHAUpgrade naar KadastraleKaart Pro
IzeY3 aw6Rmkh6RUpgrade naar KadastraleKaart Pro
NmY 0y L0AeJnUpgrade naar KadastraleKaart Pro
Z 6nKPk7bvdvFUpgrade naar KadastraleKaart Pro
Hg57 IczuS2uVNUpgrade naar KadastraleKaart Pro
02/05/2005

Percelen
Gebruik de zoekbalk of klik op een perceel om informatie over het perceel te bekijken.