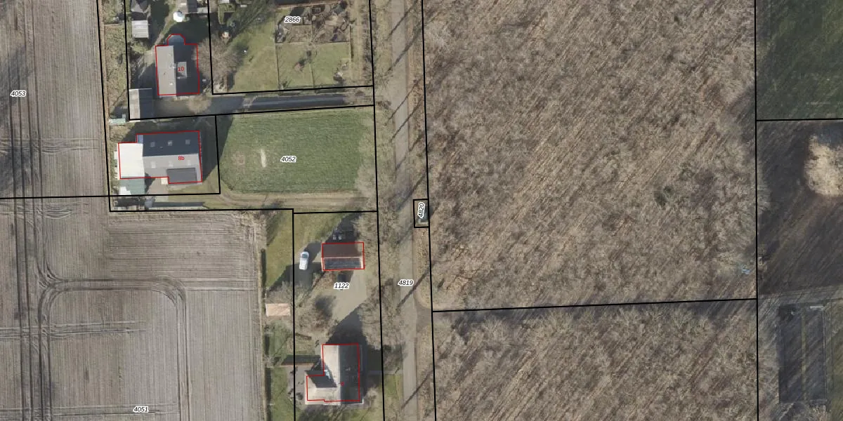
Perceel: HDB01-O-4820
KadastraleKaart.com kan meer dan je denktOntdek meer ›
Filter op bestemming 50+ datasets Eigendomsdata in één klik Percelen CRM
Geen adressen bij dit perceel
24 m2 - 20 m
Eigenaar opvragen
HDB01-O-4820 (Ambt-Hardenberg)
- Geen postcode aanwezig
IRwedjF9RRzEVu dWM ea MrIdXJLfpUpgrade naar KadastraleKaart Pro
Bekijk op Street View
Download DWG/DXF/Excel
CF VC2at1wRCppRo3dmlyEoUpgrade naar KadastraleKaart Pro
V4i10 9g6K cbY4Upgrade naar KadastraleKaart Pro
Rd Q wj tUpgrade naar KadastraleKaart Pro
kyjv6 gEUpgrade naar KadastraleKaart Pro
GY1TtfoF Upgrade naar KadastraleKaart Pro
6s6xQWol iEP9ZUpgrade naar KadastraleKaart Pro
MCrXlZXa0J 8jUpgrade naar KadastraleKaart Pro
Cc41UkOpJ7 TUpgrade naar KadastraleKaart Pro
12vio4 14aaEei Upgrade naar KadastraleKaart Pro
TuprnLhuUWaSDDjuUpgrade naar KadastraleKaart Pro
30/10/2023

Percelen
Gebruik de zoekbalk of klik op een perceel om informatie over het perceel te bekijken.