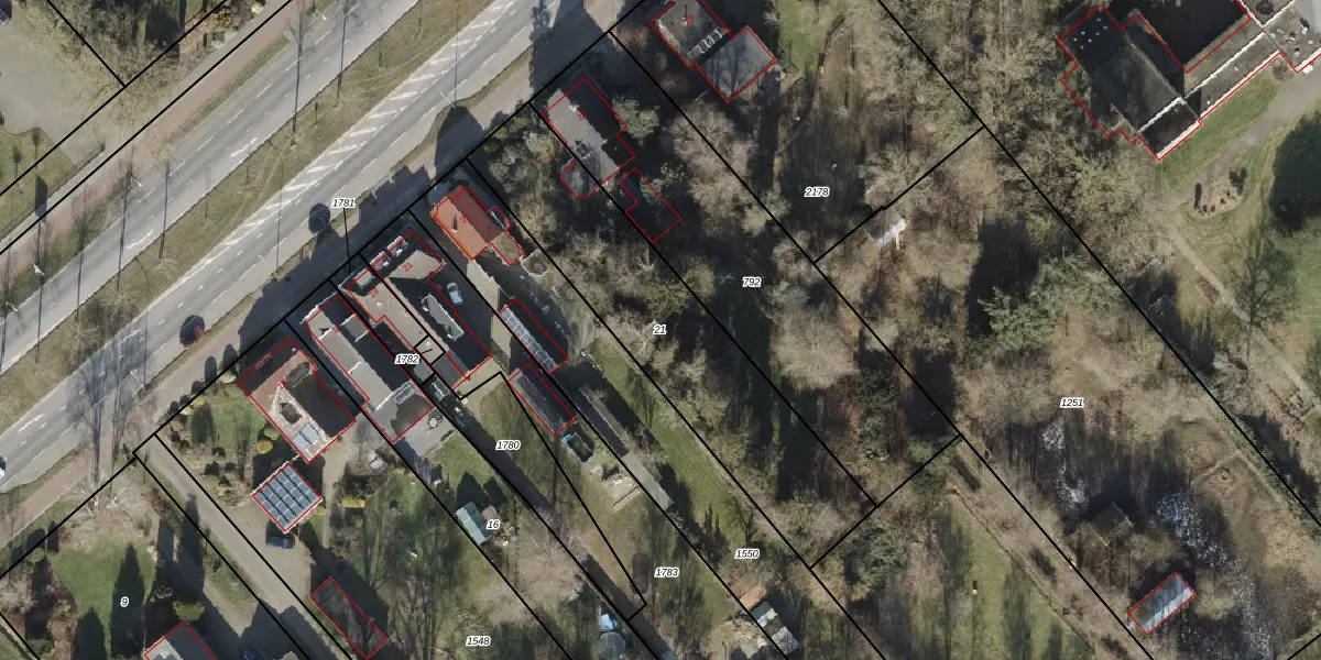
Perceel: HDB01-U-21
KadastraleKaart.com kan meer dan je denktOntdek meer ›
Filter op bestemming 50+ datasets Eigendomsdata in één klik Percelen CRM
Geen adressen bij dit perceel
1.055 m2 - 189 m
Eigenaar opvragen
HDB01-U-21 (Ambt-Hardenberg)
- Geen postcode aanwezig
RQ5eE Qq uPkud5Ms4GWnDMRcvKC3DNUpgrade naar KadastraleKaart Pro
Bekijk op Street View
Download DWG/DXF/Excel
fDxWeKAGUpgrade naar KadastraleKaart Pro
iwyg7hE1HIUpgrade naar KadastraleKaart Pro
3JQ aSkndSNWNYSTLF AgUpgrade naar KadastraleKaart Pro
aiZ tI0oxj5eT6Upgrade naar KadastraleKaart Pro
YWKM 9EtmyJPPUpgrade naar KadastraleKaart Pro
3nVtysVZUpgrade naar KadastraleKaart Pro
EqEVnq ML9rx hvrvyUpgrade naar KadastraleKaart Pro
VXGfuUGm RoJKSqf2OUpgrade naar KadastraleKaart Pro
Gd0mvoZAe8dPijUpgrade naar KadastraleKaart Pro
AXPFCKyn17aM 7 6NjUpgrade naar KadastraleKaart Pro
25/04/2001

Percelen
Gebruik de zoekbalk of klik op een perceel om informatie over het perceel te bekijken.