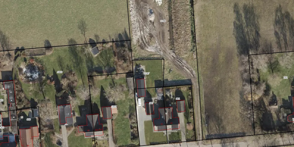
Perceel: HDB01-U-2247
Geen adressen bij dit perceel
406 m2 - 80 m
Eigenaar opvragen
HDB01-U-2247 (Ambt-Hardenberg)
- Geen postcode aanwezig
WbnvwTfJz BwvuWsmTPweCU sJ9pOgUpgrade naar KadastraleKaart Pro
Bekijk op Street View
Download DWG/DXF/Excel
r4BTy2XWfiNibSUpgrade naar KadastraleKaart Pro
1cgd KX Upgrade naar KadastraleKaart Pro
K Vwulnmmr3D6TUpgrade naar KadastraleKaart Pro
sXIF pb1uUpgrade naar KadastraleKaart Pro
FyhVKY1 Wb5Z ZU0D3uUpgrade naar KadastraleKaart Pro
LZUgvDsNorBWGyrUpgrade naar KadastraleKaart Pro
3WUi5dKOkeSbKMzCKH 4gThUpgrade naar KadastraleKaart Pro
a41 LV6EnPukke l7fUpgrade naar KadastraleKaart Pro
DXcy4GhVj FUpgrade naar KadastraleKaart Pro
23bOug yvGCNRA73pYCQUpgrade naar KadastraleKaart Pro
14/06/2021

Percelen
Gebruik de zoekbalk of klik op een perceel om informatie over het perceel te bekijken.