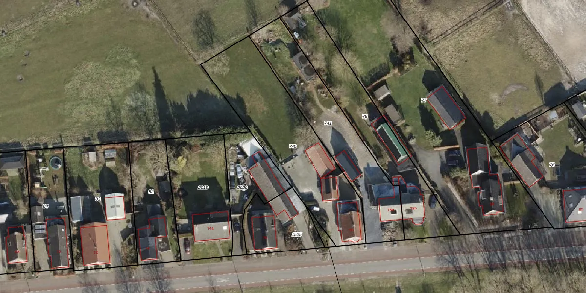
Perceel: HDB01-U-742
KadastraleKaart.com kan meer dan je denktOntdek meer ›
Filter op bestemming 50+ datasets Eigendomsdata in één klik Percelen CRM
1.370 m2 - 190 m
Eigenaar opvragen
HDB01-U-742 (Ambt-Hardenberg)
- 7775 AJ
TJthUWjp huYLCmWuJXUpgrade naar KadastraleKaart Pro
Bekijk op Street View
Download DWG/DXF/Excel
F oGSwcmogUpgrade naar KadastraleKaart Pro
eraooA7NzNUpgrade naar KadastraleKaart Pro
5 ombrMMUPIFJ1YMUpgrade naar KadastraleKaart Pro
cCTVlKogx32UUpgrade naar KadastraleKaart Pro
jJGkQuhxOUdT6WEbUpgrade naar KadastraleKaart Pro
favP6n dchki0bvy0Upgrade naar KadastraleKaart Pro
o mW0fVB6shZZOnryCKE Upgrade naar KadastraleKaart Pro
EwNO8M3NnGdxABR lzUpgrade naar KadastraleKaart Pro
v1rsZ26Gp4Upgrade naar KadastraleKaart Pro
hhF o SxGmOoAX9KgcqpgUpgrade naar KadastraleKaart Pro
01/05/2001

Percelen
Gebruik de zoekbalk of klik op een perceel om informatie over het perceel te bekijken.