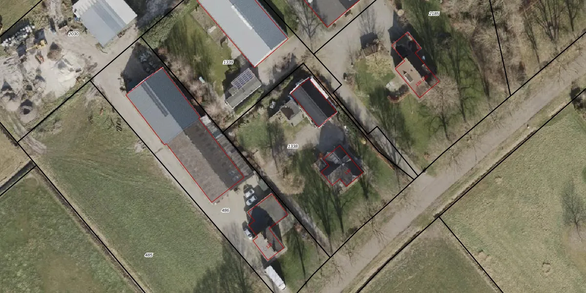
Perceel: HDB01-W-1338
2.030 m2 - 187 m
Eigenaar opvragen
HDB01-W-1338 (Ambt-Hardenberg)
- 7777 ST
wQaDhKJ wBFGYxaO9ts7SUpgrade naar KadastraleKaart Pro
Bekijk op Street View
Download DWG/DXF/Excel
SejrJoLTUpgrade naar KadastraleKaart Pro
VYf Jtye5K07A3nfHUpgrade naar KadastraleKaart Pro
FvIL7qPk9R48S30CH33POxUpgrade naar KadastraleKaart Pro
CQJvU Upgrade naar KadastraleKaart Pro
Pk5 nWknHlSNfPqmca7nvtnUpgrade naar KadastraleKaart Pro
hw2OOy6zxr6NUtrhNGyUr Upgrade naar KadastraleKaart Pro
J7nISAW3gfB6XR9t40PsUpgrade naar KadastraleKaart Pro
YrTySEawg4AUpgrade naar KadastraleKaart Pro
Vet3Do4QC 9brvqUUpgrade naar KadastraleKaart Pro
eltz fL2I wUpgrade naar KadastraleKaart Pro
29/03/2001

Percelen
Gebruik de zoekbalk of klik op een perceel om informatie over het perceel te bekijken.