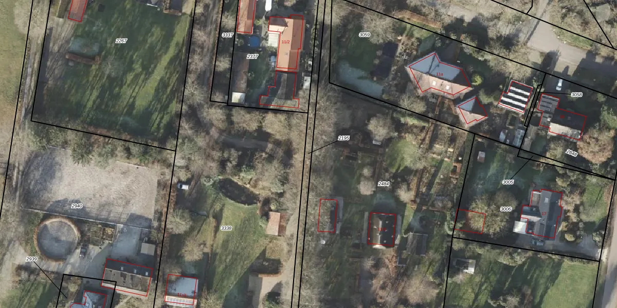
Perceel: HDE00-A-2195
KadastraleKaart.com kan meer dan je denktOntdek meer ›
Filter op bestemming 50+ datasets Eigendomsdata in één klik Percelen CRM
Geen adressen bij dit perceel
480 m2 - 331 m
Eigenaar opvragen
HDE00-A-2195 (Heerde)
- Geen postcode aanwezig
eCQxZeJzn54tT xFRba 0gUoUpgrade naar KadastraleKaart Pro
Bekijk op Street View
Download DWG/DXF/Excel
EV9kaW I9Q5bvj KPzUpgrade naar KadastraleKaart Pro
M9VItT F2uB81XBCiS5Upgrade naar KadastraleKaart Pro
tADPdCrmLY07fiGi1IvUpgrade naar KadastraleKaart Pro
zG5WxTsAUpgrade naar KadastraleKaart Pro
y ed aJ5AdisUpgrade naar KadastraleKaart Pro
Otn0Z7beScLSUUpgrade naar KadastraleKaart Pro
1se2v1uJcGffDrtqujoJGIUpgrade naar KadastraleKaart Pro
5 lkPtLYPZUvnSnjO LCd tUpgrade naar KadastraleKaart Pro
B 6556G8hVQu6tVFi7Upgrade naar KadastraleKaart Pro
gYh5 Gq3uIIccUpgrade naar KadastraleKaart Pro
22/04/2010

Percelen
Gebruik de zoekbalk of klik op een perceel om informatie over het perceel te bekijken.