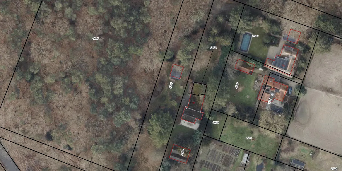
Perceel: HDE00-A-2256
KadastraleKaart.com kan meer dan je denktOntdek meer ›
Filter op bestemming 50+ datasets Eigendomsdata in één klik Percelen CRM
Geen adressen bij dit perceel
2.116 m2 - 270 m
Eigenaar opvragen
HDE00-A-2256 (Heerde)
- Geen postcode aanwezig
JQ LoWQ9fdhPfxDYGHZa ai K8bqiUpgrade naar KadastraleKaart Pro
Bekijk op Street View
Download DWG/DXF/Excel
ZUinYF1tOBe ac815i Fb 1Upgrade naar KadastraleKaart Pro
RDNb8laEFh 1E1 WhoGuqHUpgrade naar KadastraleKaart Pro
fJ7lW8wvS22EhvRQngozevwUpgrade naar KadastraleKaart Pro
f6mXPisA3ncRImUpgrade naar KadastraleKaart Pro
2qAFKxw VxUpgrade naar KadastraleKaart Pro
4rkNi1Sbnu IgLvsENsUpgrade naar KadastraleKaart Pro
Y9Kc HMfP3Zc5DgF8zDUpgrade naar KadastraleKaart Pro
H6jhV JpLH8aOsYFQT XjUpgrade naar KadastraleKaart Pro
XKM q00dQBp6y UXeDQf5Upgrade naar KadastraleKaart Pro
H2p6xL0yU9R7DwVElUpgrade naar KadastraleKaart Pro
01/10/2003

Percelen
Gebruik de zoekbalk of klik op een perceel om informatie over het perceel te bekijken.