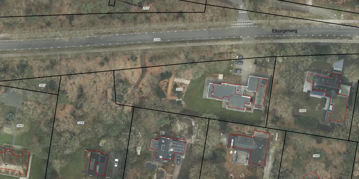
Perceel: HDE00-H-3151
KadastraleKaart.com kan meer dan je denktOntdek meer ›
Filter op bestemming 50+ datasets Eigendomsdata in één klik Percelen CRM
2.580 m2 - 234 m
Eigenaar opvragen
HDE00-H-3151 (Heerde)
- 8181 EM
GMQzin0VEcvyKL kYi3UUpgrade naar KadastraleKaart Pro
Verkoopprijs opvragen
Bekijk op Street View
Download DWG/DXF/Excel
up1 m5J7whAyVLf6FsIdDxUpgrade naar KadastraleKaart Pro
adoDRL6c AEF0YUpgrade naar KadastraleKaart Pro
3Mzx3hbnXhh5dUpgrade naar KadastraleKaart Pro
A5LkKGXnPRE2vK1 UhNUpgrade naar KadastraleKaart Pro
m 7Brhe WlljpUpgrade naar KadastraleKaart Pro
A cDmihk Upgrade naar KadastraleKaart Pro
nW6aZwIcwSSPY4Upgrade naar KadastraleKaart Pro
Mr4OyWSUQIhPYOvWZUh5Upgrade naar KadastraleKaart Pro
hcl3SXSATUq0 8Upgrade naar KadastraleKaart Pro
kLxAHMx GKUpgrade naar KadastraleKaart Pro
02/07/2002

Percelen
Gebruik de zoekbalk of klik op een perceel om informatie over het perceel te bekijken.