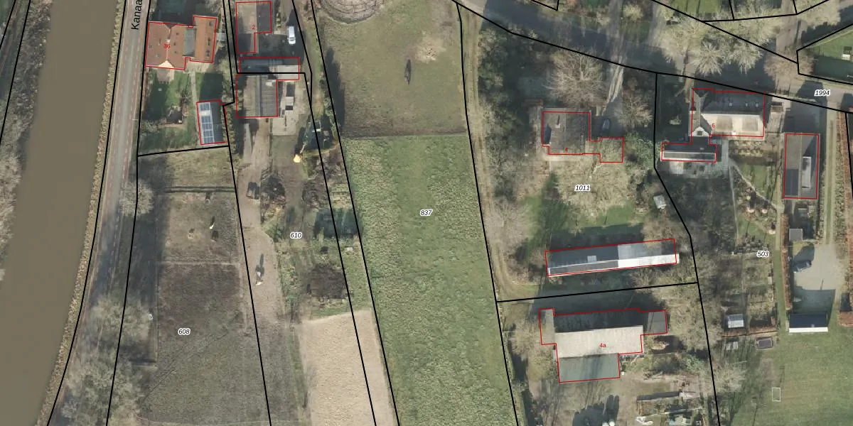
Perceel: HDE00-M-837
KadastraleKaart.com kan meer dan je denktOntdek meer ›
Filter op bestemming 50+ datasets Eigendomsdata in één klik Percelen CRM
Geen adressen bij dit perceel
3.595 m2 - 313 m
Eigenaar opvragen
HDE00-M-837 (Heerde)
- Geen postcode aanwezig
V FAfPHjVQrvG7ZsTKGUpgrade naar KadastraleKaart Pro
Bekijk op Street View
Download DWG/DXF/Excel
Py8lPlj0veshMXPpUpgrade naar KadastraleKaart Pro
AOLnnsHKq uUyGjQYUpgrade naar KadastraleKaart Pro
ZR oVljNawTB RgwyA0aAMUpgrade naar KadastraleKaart Pro
2 twEeJWUpgrade naar KadastraleKaart Pro
CInMWoK9WsvFSb oeeN Upgrade naar KadastraleKaart Pro
VJGNT qyV2nUpgrade naar KadastraleKaart Pro
HRNg47siLgxK Ex5B eyAUpgrade naar KadastraleKaart Pro
cxV93oNq pQGRcUmZCmo4Upgrade naar KadastraleKaart Pro
YxqHRt2B sUpgrade naar KadastraleKaart Pro
qo6SLFbGZMZecMFNUpgrade naar KadastraleKaart Pro
17/03/2004

Percelen
Gebruik de zoekbalk of klik op een perceel om informatie over het perceel te bekijken.