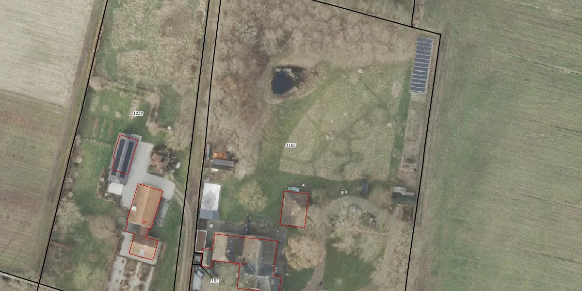
Perceel: HDE00-P-1165
KadastraleKaart.com kan meer dan je denktOntdek meer ›
Filter op bestemming 50+ datasets Eigendomsdata in één klik Percelen CRM
9.210 m2 - 403 m
Eigenaar opvragen
HDE00-P-1165 (Heerde)
- 8181 RR
1KCQY5aVkdKZ8FsseL5 MB4mUpgrade naar KadastraleKaart Pro
Verkoopprijs opvragen
Bekijk op Street View
Download DWG/DXF/Excel
YcrwwX 7ifI1Upgrade naar KadastraleKaart Pro
e1mGO7knyFah8jz 0HUpgrade naar KadastraleKaart Pro
BIcerArbKnXIi lez Upgrade naar KadastraleKaart Pro
FWvx5GvjDOgbuLUpgrade naar KadastraleKaart Pro
8PUxw383Ue2LZdVDbUpgrade naar KadastraleKaart Pro
ILEaGWe5gMUpgrade naar KadastraleKaart Pro
EhWoTQjnmSL IQYKBNUpgrade naar KadastraleKaart Pro
yVyrq0425g1NyZCLhnxUpgrade naar KadastraleKaart Pro
bHNDsuV7lUpgrade naar KadastraleKaart Pro
p3 D aPUpgrade naar KadastraleKaart Pro
31/08/2004

Percelen
Gebruik de zoekbalk of klik op een perceel om informatie over het perceel te bekijken.