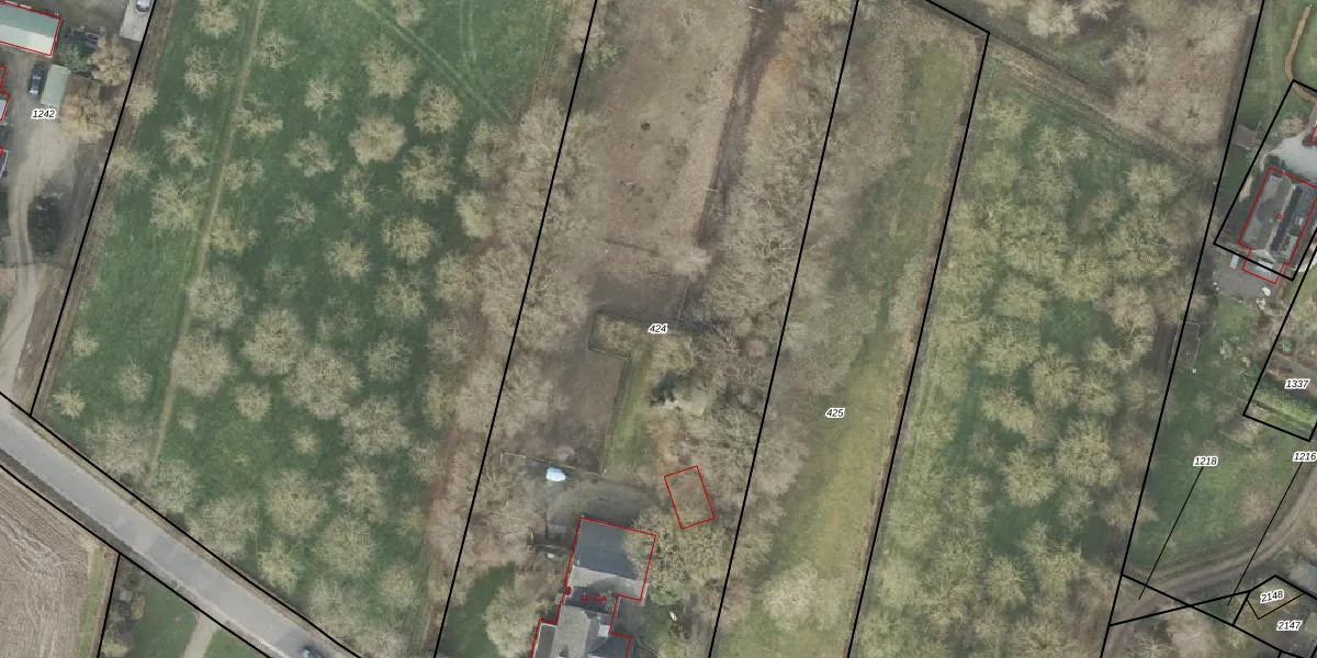
Perceel: HDE00-P-424

2 adressen bij perceel

Oenerweg 11 t/m 11 a

Perceeloppervlakte & perceelomtrek

5.270 m2 - 351 m

Eigenaar van het perceel

Eigenaar opvragen

Kadastrale aanduiding

HDE00-P-424 (Heerde)

Postcode in perceel

    8181 RE

Type eigenaar

TuZ g6htCBxvWuub bUkUpgrade naar KadastraleKaart Pro

Woning verkocht in 1996

Verkoopprijs opvragen

Google Street View

Bekijk op Street View

Download

Download DWG/DXF/Excel

Gerelateerde percelen

yEsjgL 1Upgrade naar KadastraleKaart Pro

Bebouwd/onbebouwd/water/groen

ZRUWtJ8 kEYmueoYxqUpgrade naar KadastraleKaart Pro
Administratieve eenheden
sGIM35F2tUpgrade naar KadastraleKaart Pro

Appartementsrechten

biKtxoNYqUpgrade naar KadastraleKaart Pro

Vergunningverlenende instanties

ii yoORjXR9dTU9t Xj6Upgrade naar KadastraleKaart Pro

Bedekking (BGT)

wQG6o64y6Ii zgqVnUpgrade naar KadastraleKaart Pro

Publiekrechtelijke beperkingen

nMuQcGIXnKCumN NUpgrade naar KadastraleKaart Pro

Grensnauwkeurigheid

OSeKvUTqGL Nk8 2H NTaGUpgrade naar KadastraleKaart Pro

Coördinaten hoekpunten perceel

mSeP9YOc 4 LPVCpyUpgrade naar KadastraleKaart Pro

Hoogteligging

q0 VJrs3 Upgrade naar KadastraleKaart Pro

Laatst gewijzigd

13/04/2000

Kadastrale kaart met maatvoering 59,95
Kadastrale kaart pakket 28,95

Percelen

Gebruik de zoekbalk of klik op een perceel om informatie over het perceel te bekijken.
Locatie
Meten
Lagen
Download