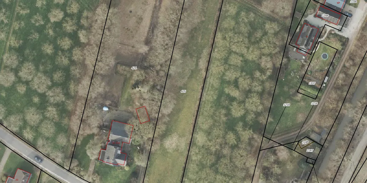
Perceel: HDE00-P-425
KadastraleKaart.com kan meer dan je denktOntdek meer ›
Filter op bestemming 50+ datasets Eigendomsdata in één klik Percelen CRM
Geen adressen bij dit perceel
2.700 m2 - 311 m
Eigenaar opvragen
HDE00-P-425 (Heerde)
- Geen postcode aanwezig
FNssJkiMurU5 hj7e24nlawUpgrade naar KadastraleKaart Pro
Bekijk op Street View
Download DWG/DXF/Excel
GLN228KVEGeSFSR8nkvdUpgrade naar KadastraleKaart Pro
HUjr3l W p0Upgrade naar KadastraleKaart Pro
Ese9JBVFviAh0DuVX8Upgrade naar KadastraleKaart Pro
78U Y8sD3jbuUpgrade naar KadastraleKaart Pro
RHbEPagr3qQUpgrade naar KadastraleKaart Pro
QHfA2d1EdUpgrade naar KadastraleKaart Pro
5ct 3 Yv9w8wzQgesUpgrade naar KadastraleKaart Pro
0mqYVFssxe Upgrade naar KadastraleKaart Pro
awZkPKnRUpgrade naar KadastraleKaart Pro
nqfzgEvRUpgrade naar KadastraleKaart Pro
12/12/2002

Percelen
Gebruik de zoekbalk of klik op een perceel om informatie over het perceel te bekijken.