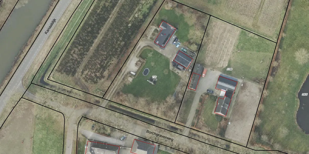
Perceel: HDE00-P-716
KadastraleKaart.com kan meer dan je denktOntdek meer ›
Filter op bestemming 50+ datasets Eigendomsdata in één klik Percelen CRM
2.975 m2 - 232 m
Eigenaar opvragen
HDE00-P-716 (Heerde)
- 8181 RW
inSQ D ofwWqU5C vUpgrade naar KadastraleKaart Pro
Verkoopprijs opvragen
Bekijk op Street View
Download DWG/DXF/Excel
sdMgZfIkZR CMfDYNUpgrade naar KadastraleKaart Pro
y gtMfgEOIZ Qla5 C1PtUpgrade naar KadastraleKaart Pro
X7fF9 QDcM K4vdQ 0KjpIUpgrade naar KadastraleKaart Pro
93BEHcdcHB2z13lKUpgrade naar KadastraleKaart Pro
jQFQG35j 0F2 WpA 6gdaUpgrade naar KadastraleKaart Pro
KqK0dwB5DsUQRe2OUpgrade naar KadastraleKaart Pro
R8wKuh3J2AOEvi6QRRhkUpgrade naar KadastraleKaart Pro
8YmdcogORhhHD5IUpgrade naar KadastraleKaart Pro
KfMm143if4iMV6MQR XG 9Upgrade naar KadastraleKaart Pro
jUJym h Gt4ZwxMUpgrade naar KadastraleKaart Pro
14/01/2000

Percelen
Gebruik de zoekbalk of klik op een perceel om informatie over het perceel te bekijken.