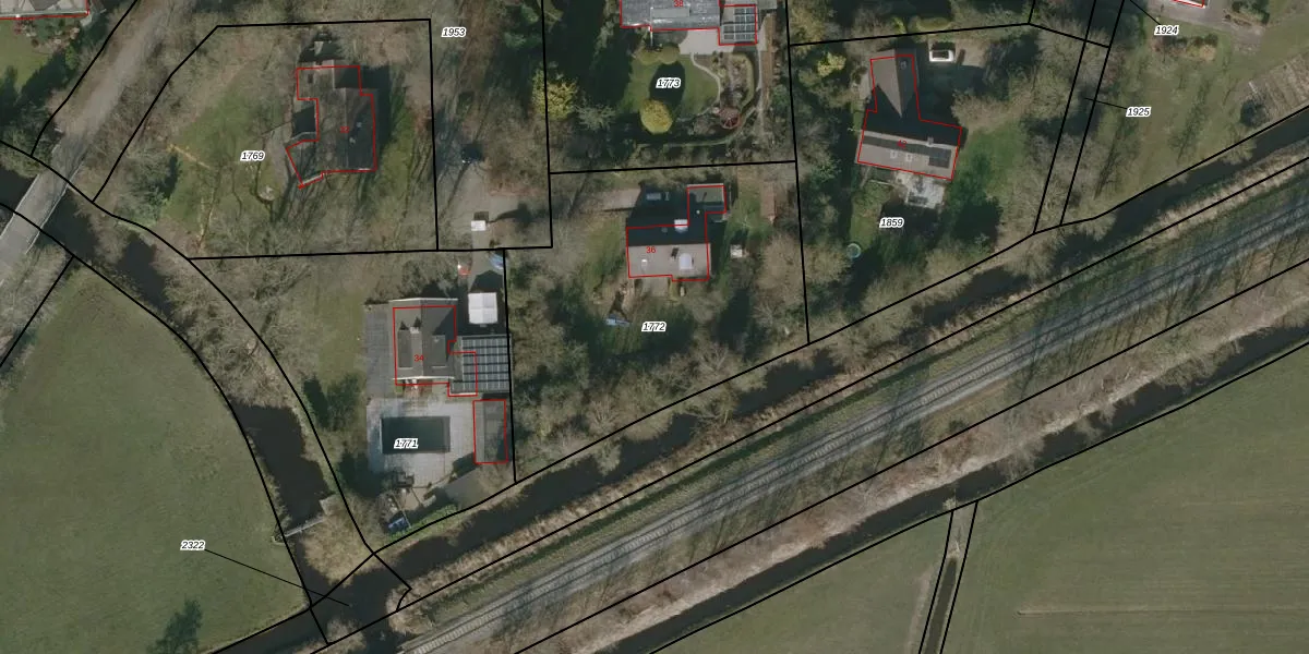
Perceel: HDG00-G-1772
1.555 m2 - 170 m
Eigenaar opvragen
HDG00-G-1772 (Hardegarijp)
- 9255 KJ
9rSerQkKxniy1w89ytaTK2Upgrade naar KadastraleKaart Pro
Bekijk op Street View
Download DWG/DXF/Excel
PFJ0thMD2RUpgrade naar KadastraleKaart Pro
N4 snBxfJrAEf V3mqfUpgrade naar KadastraleKaart Pro
8 3W1IzDkI9a IOhjH8Upgrade naar KadastraleKaart Pro
uFkENgXUpgrade naar KadastraleKaart Pro
HJ8DatIkVmkKFcElUpgrade naar KadastraleKaart Pro
GVsvTNBHUpgrade naar KadastraleKaart Pro
Fw3eWQT93HkzDUpgrade naar KadastraleKaart Pro
11nkgSk1ipKEgUpgrade naar KadastraleKaart Pro
NcQ 0cO1jt6H3YzSZuSWpUpgrade naar KadastraleKaart Pro
tBKK2yXQI gGu6Upgrade naar KadastraleKaart Pro
30/03/2006

Percelen
Gebruik de zoekbalk of klik op een perceel om informatie over het perceel te bekijken.